|
|
Æ÷ÀÎÅÍ Á¤º¸
Æ÷ÀÎÅÍÁ¤º¸
Æ÷ÀÎÅͰøÀ¯
Ãßõ°¡Á·³¬½ÃÅÍ
³²Çؼ¶¿©Çà
Å׸¶¿©ÇàÁö
³¬½ÃÅÍÀ§Ä¡Ã£±â
³¬½Ã°ü·Ã»çÀÌÆ®
³¬½ÃÁ¡,¹èã±â
|
Á¡ÁÖÁ¶È²
ºÎ»ê,¿ï»ê,°æ»ó±Ç
°¹¹ÙÀ§Á¶È²
¹æÆÄÁ¦Á¶È²
¼±»ó³¬½ÃÁ¶È²
Á´ëÁ¶È²
·ç¾î³¬½ÃÁ¶È²
Àü¶ó,Á¦ÁÖ,µ¿,¼ÇØ
Á¡ÁÖ,¼±Àå ¾Ë¸²
»çÁøÀ¸·Îº¸´Â Á¶È²
±Ç¿ªº° »çÁøÁ¶È²
Àü±¹³¬½ÃÁ¡,¹èã±â
|
³¬½ÃÀÎÁ¶È²
³¬½ÃÀÎ °³ÀÎÁ¶È²
³¬½ÃÀÎ ½ºÅÇÁ¶È²
À¯Æ©ºê,µ¿¿µ»óÁ¶È²
½Ç½Ã°£ ¹Ù´Ù»óȲ
Çʵ忡¼ ÇѸ¶µð
±â»ó Á¤º¸¼¾ÅÍ È¨
|
ÃâÁ¶Á¤º¸
ÃâÁ¶Á¤º¸
ÇÔ²²°¡½ÇºÐ
½Ç½Ã°£¹Ù´Ù»óȲ
³¬½Ã´ëȸ,Çà»ç
³¬½ÃÁ¤º¸,´º½º
³¬½ÃÈ«º¸,±¤°í
µ¿È£È¸,¹êµå ÄÚ³Ê
ÇØÁ¶ FC
|
³¬½ÃÁö½Ä
³¬½Ã°ü·Ã Q.A
Àåºñ°ü·Ã Q.A
³¬½Ã¿ëǰ»ç¿ë±â
Á¦Ç°Æò°¡´Ü
Ãßõ³¬½ÃÁ¤º¸
|
³¬½Ã±³½Ç
¹Ù´Ù·ç¾î±³½Ç
¸¶ÀÌÁ¶¹ý°ø°³
³¬½Ã¹è¿òÅÍ
äºñ¹ý,¹À½¹ý
³¬½ÃÀåºñ°¡À̵å
¾î·ùµµ°¨
|
Á¶Çà±â,°¶·¯¸®
Á¶Çà±â,Á¶´ã,²ÇÆ®
À¯Æ©ºê,µ¿¿µ»óÁ¶È²
»çÁøÁ¶Çà±â
³¬½Ã°¶·¯¸®
¿ì¼ö°¶·¯¸®
Á¡ÁÖ°¶·¯¸®
|
³¬½Ã¿ëǰ
³¬½ÃÁß°íÀåÅÍ
ÀϹݿëǰÀåÅÍ
¹«·áµå¸³´Ï´Ù
ºÎ³¬°øµ¿±¸¸Å
½Å»óǰȫº¸
ºÎ³¬ºñÁî¼¥
ºÎ³¬½ºÅä¾îÆÊ
|
Ä¿¹Â´ÏƼ
³¬½ÃÀ̾߱â
ĪÂù,ÁúŸ
³¬½ÃÅä·Ð,¼³¹®
»ç´ÂÀ̾߱â
°¡ÀÔÀλç¶õ
ÀÚÀ¯°Ô½ÃÆÇ
¸ÀÁý,¸ÚÁý
³¬½ÃÁ¤º¸,´º½º
³¬½ÃÈ«º¸,±¤°í
±¸Àα¸Á÷Á¤º¸
|
|
|
°¨¼ºµ¼(È긲) 5Â¥ ´ë¹°¿Ü 4Â¥4Â¥4Â¥ 5¹æ ÅÁÅÁÅÁ~´ë¾î³¬½Ã
2026³â Á¡ÁÖ,¼±Àå ºÎ»ê,¿ï»ê,°æ»ó±Ç Á¶È²Á¤º¸
| |
|
|
|
| ¤ýÀÛ¼ºÀÚ |
°ÅÁ¦´ë¾î³¬½Ã
http://band.us/@geojedaeeofishing
°ÅÁ¦½Ã °ÅÁ¦¸é ¹ýµ¿¸® 1074¹øÁö TEL: H.P: 010-4547-3937
|
| ¤ýÀÛ¼ºÀÏ |
2026-04-17 (±Ý) 14:56 |
| ¤ý±Ç¿ª | °ÅÁ¦ |
| ¤ý±¸ºÐ |
¼± »ó Á¶È² ( ÁÖ¾îÁ¾: °¨¼ºµ¼ ) |
| ¤ýÀϽÃ,Àå¼Ò,Àοø |
17ÀÏ,°ÅÁ¦¾îÃÊ¿©¹ç,6¸í |
| ¤ý¹°¶§,¹Ù´Ù»óȲ |
8¹°,ÀÜÀÜÇÔ |
| ¤ý¿¹¾à,ÃâÁ¶¾È³» |
18ÀÏ 19ÀÏ 20ÀÏ ¿¹¾à°¡´É |
|
¤ýÁ¶È¸: 21
|
|
|
¤ý125.xxx.223 |
|
|
|
|
|
°ÅÁ¦´ë¾î³¬½Ã
|
|
|
°¨¼ºµ¼(È긲) 5Â¥ ´ë¹°¿Ü 4Â¥4Â¥4Â¥ 5¹æ ÅÁÅÁÅÁ~´ë.
|
|
|
|

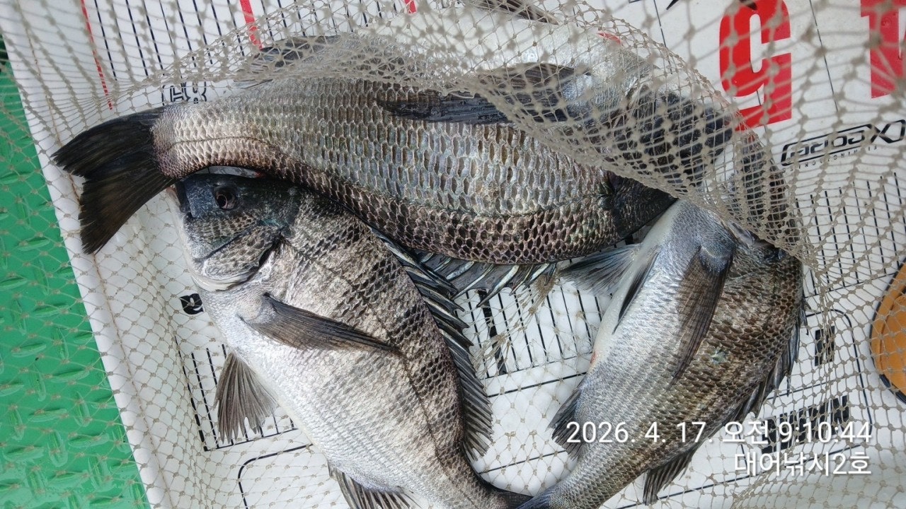
´ë¹°°¨¼ºµ¼ ¿À´Ãµµ 5¹æ ÅÁÅÁÅÁÅÁÅÁ~´ë¹°µé Æø°Ý~ 17ÀÏ(±Ý¿äÀÏ) °ÅÁ¦ ¾îÃÊ¿©¹ç °¨¼ºµ¼³¬½Ã "°ÅÁ¦´ë¾î³¬½Ã" ö¼ö Á¶È²ÀÔ´Ï´Ù. ¡Ø °¨¼ºµ¼ 53Cm Âüµ¼ 68CmÀÌ»ó(ìí1¸í) ´ë¾î&¾ÆÁöÄ«À̺¥Æ® ÃÖ°í±Þ¿øÁÙ ÁõÁ¤!!!
¡Ù 18ÀÏ(Åä¿äÀÏ) °ÅÁ¦ ¾îÃÊ¿©¹ç °¨¼ºµ¼ È긲³¬½Ã "¿¹¾à°¡´É" (18ÀÏ 9¹°, °£Á¶: 02:56 ¸¸Á¶: 09:15 ) °¨¼ºµ¼(È긲) 5Â¥ ´ë¹°¿Ü 4Â¥4Â¥4Â¥ 5¹æ ÅÁÅÁÅÁ~ ¡Ú¡Ú¿µµîö ´ë¹° ½ÃÁð OPEN Âß~ ¿¹¾à °¡´É!!!¡Ú¡Ú °ÅÁ¦´ë¾î³¬½Ã6È£ ´ë¹°°¨¼ºµ¼ È긲³¬½Ã Á¶È²ÀÔ´Ï´Ù. ºÒ°¨´çÇÑ ¾öû³ µ¢Ä¡¿Í ÆÄ¿ö¸¦ °¡Áø ³à¼®µé, °á±¹ 3¹æÀº ÅÁÅÁÅÁ ÃѼҸ®·Î ¸¶¹«¸®Çϰí, ´ë¹°°¨¼ºµ¼ 5Â¥¿Ü ÁßÄ¡±Þµé ¸¶¸®¼ö·Î ÇѺР¼Õ¸À ÂðÇÏ°Ô Áñ±â°í ö¼öÇϼ̽À´Ï´Ù. ³»ÀÏ ¿¹¾à°¡´ÉÇÕ´Ï´Ù.°ÅÁ¦´ë¾î³¬½Ã2È£ °¨¼ºµ¼È긲³¬½Ã Á¶È²ÀÔ´Ï´Ù. ÁÁÀº ¹°¶§¿¡ ÁøÀÔÇÑ Æ÷ÀÎÆ®¿¡¼´Â º¸¸§ °¡·®³²Àº ±Ý¾î±â ¸ñÀûÀ̶ó ¼ö¸¹Àº ÀÔÁúÀ» ¹ÞÀ» ¼ö ÀÖ¾ú½À´Ï´Ù. ƯÈ÷, µÞÁÙ°ßÁ¦¿¡ ¹Ù·Î ó¹ÚÀº ´ë¹°°¨¼ºµ¼Àº ¿¬Å¸·Î 2¹æ ÅÍÁ³Áö¸¸, ¿À´Ãµµ ±½°í »§ÁÁÀº ÈûÁÁÀº °¨¼ºµ¼ 4Â¥ 4Â¥ 4Â¥±Þ À¸·Î ¼Õ¸À°ú ¸ö¸ÀÀ» Áñ±â¼Ì½À´Ï´Ù. ³»ÀÏ ¿¹¾à °¡´ÉÇÕ´Ï´Ù. 18ÀÏ(Åä¿äÀÏ) °ÅÁ¦Ãâ¹ß ¾îÃÊ¿©¹ç ´ë¹° °¨¼ºµ¼³¬½Ã ¿¹¾à °¡´ÉÇÕ´Ï´Ù~°ÅÁ¦µµ ´ë¹°°¨¼ºµ¼ ¿µµîöÀÌ º»°Ý ½ÃÀ۵Ǿú½À´Ï´Ù. ´ë¹° ¼Õ¸Àº¸·¯ ¿À½ÇºÐ~¡Ø ¼Õ¸À º¸½Ã°í ö¼ö ÇϽǶ§ ¿äû Áֽøé ÀâÀ¸½Å °í±â ¼ÒÁ¤ÀÇ ºñ¿ëÀ¸·Î ¼ÕÁú ÇØµå¸³´Ï´Ù~ ¼±Àå´Ô²² ¿äÃ»ÇØ ÁÖ¼¼¿ä~¢Ã °ÅÁ¦´ë¾î³¬½Ã ¾îÃÊ¿©¹ç °¨¼ºµ¼ /¼±¿Ü±â´ë¿© ÀÏÁ¤ ¾È³» ¢Ã¡Ù18ÀÏ(Åä) ÃâÁ¶ È®Á¤~ ´ë¹° °¨¼ºµ¼³¬½Ã ¼±¿Ü±â´ë¿© "¿¹¾à°¡´É"¡Ù19ÀÏ(ÀÏ) ÃâÁ¶ È®Á¤~ ´ë¹° °¨¼ºµ¼³¬½Ã ¼±¿Ü±â´ë¿© "¿¹¾à°¡´É"¡Ù20ÀÏ(¿ù) ÃâÁ¶ È®Á¤~ ´ë¹° °¨¼ºµ¼³¬½Ã ¼±¿Ü±â´ë¿© "¿¹¾à°¡´É"¡Ù21ÀÏ(È) ÃâÁ¶ È®Á¤~ ´ë¹° °¨¼ºµ¼³¬½Ã ¼±¿Ü±â´ë¿© "¿¹¾à°¡´É"¡Ø ÁÁÀº Æ÷ÀÎÆ® ¼±Á¤À» À§ÇØ ¿¹¾àÀ» ¹Ì¸®¹Ì¸® ¼µÑ·¯ Áֽʽÿä.°ÅÁ¦´ë¾î³¬½Ã ¼±»ó³¬½Ã ¿¹¾à(µ¶Ã¤ ¹Î¹Ú ¿î¿µ)¹®ÀÇ ¢Ï 010-6400-2082 / ¢Ï 010-454-3937¤±¼±¿Ü±â ¿¹¾à: ¢Ï 010-6400-2082¤± ¹êµå: https://band.us/@geojdaeeofishing °ÅÁ¦´ë¾î³¬½Ã´Â 1~7¼±´ÜÀ» ¿î¿µÇϰí ÀÖ½À´Ï´Ù.´ÜüÆÀ/ȸ»çÆÀ/±â¾÷ÆÀ/µ¿È£È¸ÆÀ/¼±»ó ³¬½Ã´ëȸµµ °¡´ÉÇÑ ÃæºÐÇÑ ÀοøÀ» ¼ö¿ë °¡´ÉÇÕ´Ï´Ù. ¢Ã °ÅÁ¦Ãâ¹ß ¢º»ç·®µµ Çѻ굵±Ç Á÷Ç× "µ¹¹®¾î³¬½Ã" ¢Ã - 04½Ã 30ºÐ Ãâ¹ß ~ ¿ÀÈÄ 1½Ã(À¯µ¿Àû) ö¼ö- µµ½Ã¶ô, »ý¼ö, Ä¿ÇÇ Á¦°øÇÕ´Ï´Ù.¢Ã µ¹¹®¾î »ýȰ³¬½Ã & ³¬½ÃüÇè ¢Ã ¸ö¸¸ ¿À½Ã¸é µË´Ï´Ù.- ³¬½Ë´ë, ÀåºñÀÏÀýÁ¦°ø, ±¸¸íº¹ Á¦°ø- °¡Á·µé, ¿©¸§ÈÞ°¡, ´ÜüÆÀµé ´ëȯ¿µ~ °¡¼ººñ ÁÁ½À´Ï´Ù.¡á Âüµ¼ È긲³¬½Ã (³»¸¸±Ç/ÁßÀå°Å¸® »ó½Ã ÃâÁ¶)ÇѳªÀý:»õº®ºÎÅÍ ~ 2½Ã±îÁö(À¯µ¿Àû) 14¸¸¿ø- ¹Ø¹ä,¹Ì³¢,µµ½Ã¶ô Á¦°ø, Ä¿ÇÇ, À½·á, »ý¼ö Á¦°ø(³¬½Ë´ë) ±âº» 1.5È£~2È£´ë 530(°æÁú´ë ¼±È£)(¸±) 4000¹ø~6000¹ø. ±Ç»ç·® 150~200¹ÌÅÍ ÃßõµÇ´Â ½ºÇǴ׸±.(¶óÀÎ) ¿øÁÙ 4~6È£ ÇÃ·ÎÆÃ ¼¼¹ÌŸÀÔ, ¸ñÁÙ ÈķηÎÄ«º» 100% 4È£~6È£ ¼±È£.(¹Ù´Ã) Âüµ¼ 8~12È£, Å¥¼Ç¶Ç´Â ¼öÁßÅ¥¼Ç -2B ~ -5B, Á¼½ÒºÀµ¹, ½ºÀ§º§µµ·¡¡Øµ¶¹è´Â ½Ã°£ Á¶Á¤ °¡´ÉÇÕ´Ï´Ù.¢Ë °ÅÁ¦´ë¾î³¬½Ã Âüµ¼ ½Ã»ó ³»¿ª ¢Ë ÀÏ 1¸í¾¿ ½Ã»óµË´Ï´Ù.68Cm ÀÌ»ó - ÃÖ»ó±Þ ¿øÁÙ ÁõÁ¤¡á ¼±¿Ü±â ´ë¿©(4ÀνÂ)- 13¸¸¿ø, (3ÀνÂ) - 10¸¸¿ø / (2ÀνÂ) - 8¸¸¿ø / (1ÀνÂ)- 7¸¸¿ø.¿µ¾÷±¸¿ª ³» Á¶Á¤¸éÇãÁõ ÇÊ¿ä ¾øÀ¸¹Ç·Î, ´©±¸³ª ÀÌ¿ëÀÌ °¡´ÉÇÕ´Ï´Ù.- ¼±¿Ü±â »ç¿ë±³À° 3ºÐÀÌ¸é ¹Ù·Î, ¿îÀüÇÏ½Ç ¼ö ÀÖ½À´Ï´Ù.¡Ú¾ÈÀü ÁÖÀÇ »çÇסÚ- °ÅÁ¦´ë¾î³¬½Ã ¼±´Ü ÀÌ¿ë½Ã, ¾ÈÀüÇÑ ³¬½Ã¸¦ À§ÇØ ¼±ÂøÀå Åë·Î ÀÌ¿ë½Ã ¹Ì²ø¸²À» ÁÖÀÇ ÇØ ÁÖ½Ã±æ ¹Ù¶ø´Ï´Ù. Åë·Î Á¿쿡 ÀÖ´Â ÇÚµéÀ» Àâ°í À̵¿ÇÏ½Ã¸é ¾ÈÀüÇÕ´Ï´Ù.- ¼±ÂøÀåµµÂøÀü, ¹è¿¡¼ ¹Ì¸® ³»¸®Áö ¸¶½Ã°í, ¹è°¡ Á¤¹ÚÇϰí, ·ÎÇÁ¸¦ ¹Àº µÚ¿¡Çϼ±ÇØ ÁÖ½Ã±æ ¹Ù¶ø´Ï´Ù.¡Ú´ë¾î³¬½Ã ¼±´Ü¡Ú°ÅÁ¦ ´ë¾î³¬½Ã 1È£ ¤Ñ ¾ÈÁ©¶óÈ£°ÅÁ¦ ´ë¾î³¬½Ã 2È£ ¤Ñ ¾Èµå·¹¾ÆÈ£°ÅÁ¦ ´ë¾î³¬½Ã 3È£ ¤Ñ ¾ßÈ£(YAHO)°ÅÁ¦ ´ë¾î³¬½Ã 4È£ ¤Ñ µ¹ÇÉÈ£°ÅÁ¦ ´ë¾î³¬½Ã 5È£ ¤Ñ ¹Ì·¡È£°ÅÁ¦ ´ë¾î³¬½Ã 6È£ ¤Ñ °ÅÁ¦¹Ù´ÙÈ£°ÅÁ¦ ´ë¾î³¬½Ã 7È£ ¤Ñ »ç¶ûÈ£¡á ÁÖº¯ Á¦ÈÞ ¹Î¹ÚÁý ¡á¾ÆÁö¶û ¹Î¹Ú(´Üü-µ¶Ã¤) ¢Ï010-6400-2082ÇØ¼Û±¼±¸ÀÌ¹Î¹Ú (´Üü) ¢Ï010-2545-3755°ÅÁ¦ ´ë¾î³¬½Ã ÁÖº¯ ÆÄ¶ó½ºÆÄÂòÁú¹æ °Ë»öÇÏ½Ã¸é µË´Ï´Ù.¡á ȯºÒ ±ÔÁ¤ ¡á °ÅÁ¦´ë¾î³¬½Ã¿¡¼´Â ÃâÁ¶¿¡ ´ëÇÑ È¯ºÒ±ÔÁ¤À» ¾Æ·¡¿Í °°ÀÌ ¿î¿µÁßÀÔ´Ï´Ù."¿¹¾à¿Ï·á" È®Á¤½Ã ÃâÁ¶ºñ Àü¾× ȯºÒÀÌ µÇÁö ¾Ê½À´Ï´Ù.1ÀÏÀü, µµ½Ã¶ô°ú ¹Ø¹ä¿¡ µû¸¥ ½Çºñ¿Ü¿¡ ȯºÒ(ÃâÁ¶ÀÏ º¯°æ °¡´É)2ÀÏÀü, ÃâÁ¶ºñ Àü¾× ȯºÒ,"¿¹¾à ¿Ï·á" °øÁö ÀÌÈÄ, Ãë¼Ò ¿äû½Ã¿¡´Â ȯºÒµÇÁö ¾Ê½À´Ï´Ù.¡Úã¾Æ¿À½Ã´Â±æ¡Ú¡ØÃâÇ×Áö: °ÅÁ¦½Ã °ÅÁ¦¸é ¹ýµ¿¸® 1074¹øÁö ¾ÆÁö¶û°æ·Î´ç ¹æÆÄÁ¦¡Ú¡Ú¡Ú½ÅºÐÁõ ²À ÁöÂüÇØÁÖ¼¼¿ä¡Ú¡Ú¡Ú¢Ï °ÅÁ¦´ë¾î³¬½Ã ¼±»ó³¬½Ã ¿¹¾à(µ¶Ã¤ ¹Î¹Ú) ¹®ÀÇ¢Ï¢Ï 010-6400-2082 / ¢Ï 010-4547-3937¤±¼±¿Ü±â: ¢Ï 010-6400-2082¡á ¹êµå: https://band.us/@geojdaeeofishing
|
| ¡å °ÅÁ¦´ë¾î³¬½Ã
|
|
|
|
|
|
°ÅÁ¦½Ã °ÅÁ¦¸é ¹ýµ¿¸® 1074¹øÁö TEL: H.P: 010-4547-3937
|
|
|
ºÎ¿ï°æ Á¡ÁÖ/¼±Àå Á¶È²¶õ ÃÖ±Ù´ñ±Û
|
¤ý4/11ÀÏ Àß ³î°í Àç¹Ì³ª°Ô ³¬½ÃÇÏ°í ¿Ô½À´Ï |
04/13 |
¤ý¿©±â Çö±Ý¿µ¼öÁõ µÇ³ª¿ä? |
04/03 |
¤ý±Ã±ÝÇÏ½Å°Ç ¾ðÁ¦µç ¿¬¶ôÁÖ¼¼¿ä^^
010-63 |
04/01 |
¤ýÀâ¾î°¡ ¸¹½À´Ï´Ù. ´ëü¹Ì³¢ ì°Ü¿À¼¼¿ä. |
03/31 |
¤ý¾îÀ̾ø´Â ¼±ºñ¿¡ ¸Á Á¶°ú |
03/27 |
| |
³¬½ÃÀ̾߱â¶õ ÃÖ±Ù´ñ±Û
|
¤ýÇвÇÄ¡°¡ ±Ý²ÇÄ¡ ¸Â³×¿ä
´ë´ÜÇÕ´Ï´Ù.
Á¦ |
03/30 |
¤ýºÎÀü½ÃÀå¿¡¼ ÇаøÄ¡È¸¸¦ ½ä¾î ÆÄ´Â °ÍÀÌ |
03/25 |
¤ýÇвÇÄ¡ °¡°ÝÀÌ Á¤¸» ºñ½Î±º¿ä
¸À³ ÇÐ²Ç |
03/25 |
¤ýÇвÇÄ¡°¡ ¾Æ¹«¸® ¸À³ª´Ù°í ÇØµµ ±×°¡°ÝÀº |
03/25 |
¤ý°¡°ÝÀÌ ºñ½Î³×¿ä
ÇвÇÄ¡°¡ °í±Þ¾îÁ¾Àΰ¡ |
03/25 |
|
|
¡Ø°øÁö ¢º º»ÀÎ ÀÚ½ÅÀÇ °Ô½Ã¹°¿¡ ÃâÁ¶°ü·Ã ¾È³»,±âŸ È«º¸¼º ´ñ±ÛÀº Áï½Ã »èÁ¦ µË´Ï´Ù.
|
Á¡ÁÖ,¼±ÀåÁ¶È²¶õÀÇ ´ñ±ÛÀº ºÎ³¬¿¡ µî·ÏÇÑ È¸¿øÀ¸·Î Æ÷ÀÎÅͰ¡ 100Á¡ÀÌ»ó À̾î¾ß µî·Ï°¡´ÉÇÕ´Ï´Ù.
ÀÌ´Â ¾ÇÀÇÀûÀ̰í,°íÀÇÀûÀÎ ´ñ±ÛÀ» Â÷´ÜÇϱâ À§ÇÑ Á¶Ä¡ÀÔ´Ï´Ù. ¾Æ¿ï·¯ ´ñ±ÛÀÛ¼ºÀÚÀÇ È¸¿øÁ¤º¸°¡ Á¤È®ÇÏÁö¾ÊÀº ÀÛ¼ºÀÚÀÇ ´ñ±Û,
¿å¼³/ÀνŰø°Ý/½Ç¸íºñ¹æÀÇ °ú°ÝÇÑÇ¥Çö...µîÀÇ ´ñ±ÛÀº Å뺸¾øÀÌ »èÁ¦µÇ¸ç, ºÎ³¬ ¾Ç¼º°Ô½Ã¹°,´ñ±Û Á¦Àç±ÔÁ¤ ( 08/07/24 )ÀÇÇØ Á¦ÀçÁ¶Ä¡µË´Ï´Ù.
|
|
|
¡á
2026³â Á¡ÁÖ,¼±Àå ºÎ»ê,¿ï»ê,°æ»ó±Ç Á¶È²Á¤º¸

| |
|
|
|
|
| ¹øÈ£ |
±¸ ºÐ |
±Ç ¿ª |
±Û Á¦ ¸ñ |
ÀÛ¼ºÀÚ |
ÀÛ¼ºÀÏ |
Á¶È¸ |
|
10634 |
¼± »ó
|
|
17ÀϾ߰£ ¿Õ³«Áöµé »çÀÌÁîÃÖ°í~3.5K Àλý¹®¾î±î..
|
ÁøÇضóÄÚÇÇ½Ì |
04/18(Åä)
|
2 |
|
|
|
10633 |
¼± »ó
|
|
4/18¹®¾î ¿øµµ±Ç ½Ç½Ã°£ ¸¶¸´¼ö ±Â±Â^^
|
ÁøÇظ¸¹°³¬½Ã |
04/18(Åä)
|
3 |
|
|
|
10632 |
¼± »ó
|
|
¿øµµ±Çµ¹¹®¾î/µµ´Ù¸® »ç³É Äð·¯°¡µæ Èú¸µÁ¶È²!
|
ÁøÇØ·¹ÀüµåÈ£ |
04/18(Åä)
|
3 |
|
|
|
10631 |
¼± »ó
|
|
(¹®¾î)¿øµµ±Ç Àü¹® °¹ÎÈ£ KÀüÈĵé·Î ÆÛ ´ã³×¿ä..
|
ÁøÇذ¹ÎÈ£ |
04/18(Åä)
|
3 |
|
|
|
10630 |
¼± »ó
|
|
³»¸¸ ¿Õ µµ´Ù¸® ÀâÀ¸·Î¿À¼¼¿ä
|
ÁøÇØ´ºÇص¿È£ |
04/18(Åä)
|
5 |
|
|
|
10629 |
¼± »ó
|
|
(·ÎµåÇǽÌ)³«Áö17ÀÏ,Æø¿ì¼Ó ¼±¹æ~
|
Å뿵·ÎµåÇÇ½Ì |
04/18(Åä)
|
4 |
|
|
|
10628 |
¼± »ó
|
|
¹®¾î¼Õ¸À ÃÖ°í!!
|
ÁøÇØ´ºÇذæÈ£ |
04/18(Åä)
|
6 |
|
|
|
10627 |
¼± »ó
|
|
°¨¼ºµ¼ ÃÊ´ë¹Ú!!
|
ÁøÇØÇذæÈ£ |
04/18(Åä)
|
9 |
|
|
|
10626 |
¼± »ó
|
|
(°¨¼ºµ¼)°¨´çºÒ°¡ ÆÃÆÃÆÃÆÃÆÃÆÃ5Â¥5Â¥±Þ ¿Ü 4Â¥..
|
°ÅÁ¦¾ßÈ£ |
04/18(Åä)
|
8 |
|
|
|
10625 |
¼± »ó
|
|
(°¨¼ºµ¼)½Ç½Ã°£ 5Â¥ 5Â¥ ½ÖµÕÀÌ ´ë¹° ¼Õ¸À ñé ´ë..
|
°ÅÁ¦´ë¾î³¬½Ã |
04/18(Åä)
|
8 |
|
|
|
10624 |
¼± »ó
|
|
K.K.Kg±ÞÀ¸·Î ¿Ã¶ó¿À´Â ¾ß°£~µ¹¹®¾î¹× ¿øµµ±Ç~µ¹..
|
ÁøÇؼºÁøÇǽÌÈ£ |
04/18(Åä)
|
5 |
|
|
|
10623 |
¼± »ó
|
|
<< È긲 >> °¨¼ºµ¼ È긲 Á¶È²ÀÔ´Ï´Ù..
|
ÁøÇؾȰñûÆÄÈ£ |
04/18(Åä)
|
6 |
|
|
|
10622 |
¼± »ó
|
|
º¼¶ô·ç¾î~ ¿Õ»ç¹Ì º¼ 3Â¥¿¡ °¨¼ºµ¼4Â¥~
|
ÁøÇصοµÈ£ |
04/18(Åä)
|
5 |
|
|
|
10621 |
¼± »ó
|
|
(°¨¼ºµ¼)½Ç½Ã°£ ´ýºµå³×¿ä~4Â¥ÀüÈÄ ¿ì·ç·ç~´ëµ¿..
|
°ÅÁ¦´ëµ¿³¬½Ã |
04/18(Åä)
|
2 |
|
|
|
10620 |
¼± »ó
|
|
¿Õ¿±âº¼¶ô,»ì¾ÆÀÖ³× ¿À´Ãµµ,Âß/º½µµ´Ù¸® ÂÞ¿í
|
ÁøÇش뼺³¬½Ã |
04/18(Åä)
|
4 |
|
|
|
10619 |
¼± »ó
|
|
(º¼¶ô)ºñ ±×ÃÄ¿ä~¿Õ»ç¹Ì ±¸µ¢ÀÌ °í°í¾Å~°í°í½á´Ï..
|
Å뿵½á´ÏÈ£ |
04/18(Åä)
|
7 |
|
|
|
10618 |
¼± »ó
|
|
ÁøÇØ ´ë¹°°¨½ÃÄ«°í ¹ö±Û¹ö±Û 16¼ö ¿¬ÀÏ 14¼ö 19..
|
ÁøÇØÆ÷¼¼À̵·ÇÇ½Ì |
04/18(Åä)
|
7 |
|
|
|
10617 |
¼± »ó
|
|
º½µµ´Ù¸®"ǪÁüÇÑ Á¡½É¹ä»ó" ¹èÅÍÁö°Ô ¸Ô°í~ Àâ°í..
|
ÁøÇØÇ³»êÈ£ |
04/18(Åä)
|
4 |
|
|
|
10616 |
¼± »ó
|
|
Àü°»À̤Ѵë¹Ú! Ä𷯻§»§ ¼Õ¸À°¡µæ/¿ÀÀü.¿ÀÈÄ
|
ÁøÇØ·¹ÀúÇÇ½Ì |
04/18(Åä)
|
21 |
|
|
|
10615 |
¼± »ó
|
|
¸Õ¹Ù´Ù ÇÑÄ¡ ´Ù½Ãµ¹¾Æ¿Â ¸Ô¹°Á¶È²
|
ÁøÇذ³¼ºÇÇ½Ì |
04/18(Åä)
|
25 |
|
|
|
10614 |
¼± »ó
|
|
¿ÕÇÑÄ¡~ù ÃâÁ¶~¾¾¾Ë ¾ï¼ö·Î Å®´Ï´Ù
|
»ïÆ÷¿³ÀïÀ̳¬½Ã |
04/17(±Ý)
|
86 |
|
|
|
10613 |
¼± »ó
|
|
4¿ù17ÀÏ ¿Õº¼¶ô Á¶È²ÀÔ´Ï´Ù~
|
¾çÆ÷¿µÀϳ¬½Ã |
04/17(±Ý)
|
26 |
|
|
|
10612 |
¼± »ó
|
|
15ÀÏ,µµ´Ù¸® ¸¶¸´¼ö ¸¹ÀÌ Àâ°í ´ýÀ¸·Î ³«Áö±îÁö..
|
ÁøÇعݵµ³¬½Ã |
04/17(±Ý)
|
20 |
|
|
|
10611 |
¼± »ó
|
|
µµ¸®È£ 15ÀÏ °¨¼ºµ¼ 4Â¥3Â¥µé Á¶Ç× ~
|
ÁøÇصµ¸®È£ |
04/17(±Ý)
|
14 |
|
|
|
10610 |
¼± »ó
|
|
½Å¹ß¦ ¿Õ¿±â&º¼¶ô Äð·¯Á¶È²// ÇÑÄ¡
|
ÁøÇرèÇØ³¬½Ã |
04/17(±Ý)
|
32 |
|
|
|
10609 |
°¹¹ÙÀ§
|
|
ôÆ÷[Á¦ÀÏÈ£] ¹ã »Ê¶ô Á¶È²~~
|
ôÆ÷Á¦ÀÏÈ£ |
04/17(±Ý)
|
49 |
|
|
|
10608 |
¼± »ó
|
|
Àü°»À̤Ѵë¹Ú! Ä𷯻§»§ ¼Õ¸À°¡µæ/°¨¼ºµ¼(Ä«°í)..
|
ÁøÇØ·¹ÀúÇÇ½Ì |
04/17(±Ý)
|
68 |
|
|
|
10607 |
¼± »ó
|
|
°¨½ÃÈ긲,4Â¥µé°ú,3Â¥µé,¿ì·ç·ç,,
|
ÁøÇØ´ººñÁ¯È£ |
04/17(±Ý)
|
18 |
|
|
|
10606 |
¼± »ó
|
|
(04/17) dzȸ® ¼±¿Ü±â °æµ¿·¹Àú ²¿¶ó¹Ú±â Âüµ¼..
|
dzȸ®½Å±¤·¹Á® |
04/17(±Ý)
|
23 |
|
|
|
10605 |
°¹¹ÙÀ§
|
|
º½¸ÂÀÌ »õ´ÜÀåÀ» ³¡³»°í Ãâ¹ß
|
Áö¼¼Æ÷¼±Ã¢³¬½Ã |
04/17(±Ý)
|
74 |
|
|
|
10604 |
¹æÆÄÁ¦
|
|
¼»ý±Ç Á¶È²~~
|
Àϱ¤ÀºÆÄ³¬½Ã |
04/17(±Ý)
|
47 |
|
|
|
10603 |
¼± »ó
|
|
´Ù´ë¼öÆò¼±È£ ¿À´Ãµµ ³ó¾î ¿ì´çÅÁÅÁ~~~
|
´Ù´ëÆ÷¼öÆò¼±È£ |
04/17(±Ý)
|
119 |
|
|
|
10602 |
¼± »ó
|
|
´ëºÎ½Ã¸®~»½»½ ÅÍÁ® ³ª°©´Ï´Ù
|
°ÅÁ¦´õÈ÷Ʈȣ |
04/17(±Ý)
|
19 |
|
|
|
10601 |
¼± »ó
|
|
<»ï¼º³¬½Ã>~È긲~Âüµ¼,µ¢Ä¡±Þ ºÎ½Ã¸®,¹æ¾î..
|
´Ù´ëÆ÷»ï¼º³¬½Ã |
04/17(±Ý)
|
63 |
|
|
|
10600 |
¼± »ó
|
|
[´ëÀü°»ÀÌ] ¸¶¸´¼ö ÁÁ°í ¸Áűâ Á¶È²
|
ÁøÇؾ¾½ºÅ¸È£ |
04/17(±Ý)
|
40 |
|
|
|
10599 |
¼± »ó
|
|
¼Õ¸À³¡ÆÇ °¨¼ºµ¼ Ä«°í¼±»ó ¾¾¾Ë ÁÁ½À´Ï´Ù!!
|
ÁøÇر«Á¤µµ¼±³¬½Ã |
04/17(±Ý)
|
13 |
|
|
|
10598 |
°¹¹ÙÀ§
|
|
±¸Á¶¶ó~ºø¼Ó º¬¿¡µ¼ ¸¶¸´¼öÁ¶°úµé¿Ü~
|
°ÅÁ¦Æ÷¼¼À̵·³¬½Ã |
04/17(±Ý)
|
109 |
|
|
|
10597 |
¼± »ó
|
|
17ÀÏ µµ´Ù¸® È帰³¯¾¾ ¼Ó¿¡¼µµ Áñ°Ì°Ô Àâ¾Ò½À´Ï..
|
ÁøÇØÅÂdzȣ |
04/17(±Ý)
|
29 |
|
|
|
10596 |
¼± »ó
|
|
¹®¾î ¿øµµ±Ç Ű·Î¿À¹ÙŰ·Î±Þ Àâ°í ±Â±Â^^
|
ÁøÇظ¸¹°³¬½Ã |
04/17(±Ý)
|
28 |
|
|
|
10595 |
¼± »ó
|
|
°¨¼ºµ¼ µ§¸¶³¬½Ã Á¶È²
|
Å뿵À¯¹æ³¬½Ã |
04/17(±Ý)
|
34 |
|
|
|
10594 |
¼± »ó
|
|
(¹®¾î) »Ì°í ¶Ç~»Ì°í Ű·Î¿À¹öÀüÈÄ ºò»çÀÌÁî ÀÌ..
|
ÁøÇذ¹ÎÈ£ |
04/17(±Ý)
|
32 |
|
|
|
10593 |
¼± »ó
|
|
¾¾¾ËÁÁÀº º½µµ´Ù¸® ¼Õ¸À,±Â~
|
ÁøÇØ»ïÆ÷Ã»ÇØ³¬½Ã |
04/17(±Ý)
|
17 |
|
|
|
10592 |
°¹¹ÙÀ§
|
|
°í¼ö³¬½Ã °í¼öÈ£ ³»¸¸ º¬¿¡µ¼ 1ÀÎ Á¶È²
|
³´°³°í¼ö³¬½Ã |
04/17(±Ý)
|
229 |
|
|
|
10591 |
¼± »ó
|
|
º½µµ´Ù¸® ½ë¹°¿¡ °Ì³ª°Ô ¿Ã¶ó ¿É´Ï´Ù~!!
|
ÁøÇصµ½Ã¾îºÎ |
04/17(±Ý)
|
34 |
|
|
|
10590 |
¼± »ó
|
|
¤½
|
°ÅÁ¦¾ßÈ£ |
04/17(±Ý)
|
17 |
|
|
|
10589 |
°¹¹ÙÀ§
|
|
°¡´ö´ëÇ׳¬½Ã[°¨¼ºµ¼/º¬¿¡µ¼]Á¶È²ÀÔ´Ï´Ù.
|
°¡´ö´ëÇ׳¬½Ã |
04/17(±Ý)
|
257 |
|
|
|
10588 |
¼± »ó
|
|
º¼¶ô&°¨¼ºµ¼·ç¾î °¨¼ºµ¼4Â¥ º¼3Â¥~
|
ÁøÇصοµÈ£ |
04/17(±Ý)
|
22 |
|
|
|
10587 |
¼± »ó
|
|
[°¨¼ºµ¼ È긲] 4Â¥ 3Â¥ ´ë¹Ú ¸¶¸´¼ö Ãֽű»Á¶È²..
|
ÁøÇØÇ³°æÈ£ |
04/17(±Ý)
|
16 |
|
|
|
10586 |
¼± »ó
|
|
¡¶´ë¹°°¨¼ºµ¼ ¾îÃÊÈ긲¡·5Â¥5Â¥4Â¥ ¸¹ÀÌ ÅÍÁö³×..
|
°ÅÁ¦¶÷º¸ÇÇ½Ì |
04/17(±Ý)
|
31 |
|
|
|
10585 |
¼± »ó
|
|
¿Õ¿±âº¼¶ô,»ì¾ÆÀÖ³× Âß/º½µµ´Ù¸® ÂÞ¿í
|
ÁøÇش뼺³¬½Ã |
04/17(±Ý)
|
18 |
|
|
|
10584 |
¼± »ó
|
|
¿Õµµ´Ù¸® ¼Õ¸À´ë¹Ú
|
ÁøÇØ´ºÇص¿È£ |
04/17(±Ý)
|
14 |
|
|
|
10583 |
¼± »ó
|
|
³»¸¸¹®¾î ÃÊ´ë¹Ú!!!!
|
ÁøÇØ´ºÇذæÈ£ |
04/17(±Ý)
|
32 |
|
|
|
10582 |
¼± »ó
|
|
¼¼ÁøÈ£/µ¹¹®¾îkg.¸¶¸´¼ö~
|
ÁøÇؾȰñ¼¼ÁøÈ£ |
04/17(±Ý)
|
26 |
|
|
|
10581 |
¼± »ó
|
|
°¨¼ºµ¼ ¸¶¸´¼ö ´ë¹Ú
|
ÁøÇØÇذæÈ£ |
04/17(±Ý)
|
19 |
|
|
|
10580 |
¼± »ó
|
|
µµ´Ù¸® Å«³ð,ÀÛÀº³ð ¸·Àâ¾Æ ¼Õ¸À¯~ÇØ¹°ÇÑ»ó ÀÔ..
|
ÁøÇØÄÚ¸¸µµÇÇ½Ì |
04/17(±Ý)
|
16 |
|
|
|
10579 |
°¹¹ÙÀ§
|
|
04/17 ³´°³ Àº¼ºÈ£ Àº¼ºÇÇ½Ì Á¶È²
|
³´°³Àº¼ºÇÇ½Ì |
04/17(±Ý)
|
247 |
|
|
|
10578 |
¹æÆÄÁ¦
|
|
¿À°íÇǾа¨¼ºµ¼°úº¬¿¡µ¼
|
³´°³¿À°íÇǾŠ|
04/17(±Ý)
|
95 |
|
|
|
10577 |
°¹¹ÙÀ§
|
|
ÇØµ¿³¬½Ã/´ºÇص¿È£ ÅÂÁ¾´ë°¹¹ÙÀ§ 4Â¥ÃÊÁ߹ݿܸ¶..
|
¿µµµÇص¿³¬½Ã |
04/17(±Ý)
|
164 |
|
|
|
10576 |
°¹¹ÙÀ§
|
|
°¡´öÀÚÀ¯Àγ¬½Ã 52cm°¨¼ºµ¼¿ÜÁ¶È²ÀÔ´Ï´Ù.
|
°¡´öÀÚÀ¯Àγ¬½Ã |
04/17(±Ý)
|
240 |
|
|
|
10575 |
¼± »ó
|
|
¡¶°¨¼ºµ¼ ¡·4Â¥4Â¥¿Ü ¸¶¸´¼ö Á¶È² ~
|
°ÅÁ¦¹ýµ¿Àº¾ÆÈ£ |
04/17(±Ý)
|
14 |
|
|
|
10574 |
¼± »ó
|
|
°¨¼ºµ¼(È긲) 5Â¥ ´ë¹°¿Ü 4Â¥4Â¥4Â¥ 5¹æ ÅÁÅÁÅÁ..
|
°ÅÁ¦´ë¾î³¬½Ã |
04/17(±Ý)
|
21 |
|
|
|
10573 |
¼± »ó
|
|
°¨¼ºµ¼ < È긲 > Á¶È²ÀÔ´Ï´Ù~~
|
ÁøÇؾȰñûÆÄÈ£ |
04/17(±Ý)
|
11 |
|
|
|
10572 |
¼± »ó
|
|
¾ß°£³«Áö ¿Õ³«Áöµé »çÀÌÁî ÃÖ°íÃÖ°í~!!
|
ÁøÇضóÄÚÇÇ½Ì |
04/17(±Ý)
|
30 |
|
|
|
10571 |
¼± »ó
|
|
°¨¼ºµ¼ 4ÈÄ ´ë¹° Ãâ°Ý!!! »çÀÌÁî ÁÁ½À´Ï´Ù.
|
°ÅÁ¦¿ëÁøÈ£ |
04/17(±Ý)
|
22 |
|
|
|
10570 |
¼± »ó
|
|
[ÁøÇصµ´Ù¸®³¬½Ã] Ȱ¼ºµµ ÁÁ°Ô ¿Ã¶ó¿À´Â µµ´Ù¸®..
|
ÁøÇØÇѹٴÙÈ£ |
04/17(±Ý)
|
15 |
|
|
|
10569 |
¼± »ó
|
|
º½µµ´Ù¸® "¸¶¸´¼ö ¹Ù±Û¹Ù±Û" "Á¡½É ¹ä»ó ´ë¹Ú"
|
ÁøÇØÇ³»êÈ£ |
04/17(±Ý)
|
14 |
|
|
|
10568 |
¼± »ó
|
|
(°¨¼ºµ¼)³»¸¸ ¾îÃÊ,¾îÀå±Ç µ¢Ä¡±Þµé ¿í¾À ¼Õ¸À~..
|
°ÅÁ¦3´ë³¬½Ã |
04/17(±Ý)
|
13 |
|
|
|
10567 |
¼± »ó
|
|
¸Õ¹Ù´Ù ÇÑÄ¡ ´Ù½Ãµ¹¾Æ¿Â ¸Ô¹°Á¶È²
|
ÁøÇذ³¼ºÇÇ½Ì |
04/17(±Ý)
|
81 |
|
|
|
10566 |
¼± »ó
|
|
K.K.Kg±ÞÀ¸·Î ¿Ã¶ó¿À´Â ¾ß°£~µ¹¹®¾î¹× ¿øµµ±Ç ~..
|
ÁøÇؼºÁøÇǽÌÈ£ |
04/17(±Ý)
|
30 |
|
|
|
10565 |
¼± »ó
|
|
°¨¼ºµ¼(È긲) 4Â¥µé¿Ü ¸¹ÀÌ Àâ¾Ò½À´Ï´Ù.
|
ÁøÇØÅػ罺ȣ |
04/17(±Ý)
|
31 |
|
|
| |
|
¹ÏÀ»¼ö ÀÖ´Â Á¶È²À» À§ÇØ »çÁø¿¡ ³¯Â¥¸¦ ²À! ³Ö¾îÁÖ¼¼¿ä !!
|
|
³¯Â¥¾ø´Â »çÁøÀº ³¬½ÃÀε鿡°Ô ¹ÏÀ½À» ÁÖ±â ¾î·Æ½À´Ï´Ù !! ( ½º¸¶Æ®Æù¿¡ ¾îÇÃÀ» ¼³Ä¡ÇÏ¸é »çÁøÀÇ ³¯Â¥¸¦ ³ÖÀ»¼ö ÀÖ½À´Ï´Ù !! )
|
|
( ³¯Â¥¸¦ ±×·¡ÇÈ ÇÁ·Î±×·¥À¸·Î ³Ö´Â°ÍÀº À§Á¶ÀÔ´Ï´Ù ! È®ÀÎµÈ °æ¿ì Áï½Ã ·Î±äÂ÷´ÜµË´Ï´Ù.)
| |
| |
|
 (ÇÁ¸®¹Ì¾ö ±Ûµî·Ï¾È³») |
|
|
|
|
70
|
|
| | | |
|
| | | |
| |
|
| |
| |
|
| |
|
|

|
Copyright ©Ï Since 2002.Mar By ºÎ³¬ All Right Reserved
´ëÇѹα¹ ¹Ù´Ù³¬½ÃÀÇ ¸ÞÄ« ºÎ³¬ www.ybada.co.kr / www.bunak.co.kr
»ç¾÷ÀÚ¹øÈ£:602-08-67249 Åë½ÅÆÇ¸Å¾÷½Å°í:¿µµµ-00041 Mail:dscoo@naver.com
ºÎ»ê½Ã ¿µµµ±¸ ÅÂÁ¾·Î 327 (2F) TEL: 070-8165-2224 H.P: 010-3837-2518
ºÎ³¬°èÁ : ºÎ»êÀºÇà 046-01-033431-1 ÃÖÈ¿±Ô ¿äû,¹®ÀÇ»çÇ×´Â ¿î¿µÁøÄݶõÀ» ÀÌ¿ëÇØÁÖ¼¼¿ä.
°³ÀÎÁ¤º¸Ãë±Þ¹æÄ§ ÀüÀÚÀûÇ¥½Ãµî·Ï
|
|
|
ºÎ³¬Àº SSLº¸¾È¼¹ö·Î ȸ¿øÁ¤º¸¸¦ ¾ÈÀüÇÏ°Ô º¸È£Çϰí ÀÖ½À´Ï´Ù.
|
|
|
|
|
| |
|
| |
| |
|
| |
|
|
|
|
|