º¸¾ÈÁ¢¼Ó
   
¹è³ÊÀ§Ä¡ ·£´ý
    ½º/Æä/¼È/ÄÚ/³Ê  
³¬½Ã°ü·Ã»çÀÌÆ®

³¬½ÃÅÍ À§Ä¡Ã£±â

³¬½ÃÁ¡Ã£±â
¢º ÇöÀçÁ¢¼ÓÀÚ



»çÀ̹ö¹Ù´Ù³¬½ÃÀÇ ±¤Àå ºÎ³¬
Á¡ÁÖ,¼±Àå Á¶/Ȳ/Á¤/º¸
 ºÎ»ê,¿ï»ê,°æ»ó |  Àü¶ó,Á¦ÁÖ,¼­,µ¿ÇØ |  ¾îÁ¾º° Á¶È² |  Á¶È²»çÁøº¸±â |  ³¬½ÃÁ¡,¹è
 
 À½3/2  8¹°
   ±Ç¿ªº° Á¶È²»çÁø
¿µµµ,¿ëÈ£,¹Î¶ô ´Ù´ë,¼Ûµµ,°¨Ãµ °¡ ´ö ±Ç ÇØ¿î´ë,¼ÛÁ¤,±âÀå,Àϱ¤ ¼­»ý,¿ï»ê,°æÁÖ,Æ÷Ç×
ÁøÇØ,¸¶»ê±Ç °í¼º,Å뿵±Ç °Å Á¦ ±Ç »çõ,³²ÇØ±Ç Àü¶ó,Á¦ÁÖ,¿øµµ±Ç
°Å Á¦ ±Ç Á¶È²»çÁø  ´ëÇ¥»çÁø(÷ºÎÆÄÀÏ#0)( ³¬½ÃÁ¡,¹è,À½½Ä,È«º¸»çÁø»èÁ¦ )   

 º½¸ÂÀÌ »õ´ÜÀåÀ» ³¡³»°í Ãâ¹ß
°ÅÁ¦ °¹¹ÙÀ§  Áö¼¼Æ÷¼±Ã¢³¬½Ã
 2026-4-17- 19½Ã17ºÐ

 ´ëºÎ½Ã¸®~»½»½ ÅÍÁ® ³ª°©´Ï´Ù
°ÅÁ¦ ¼± »ó  °ÅÁ¦´õÈ÷Ʈȣ
 2026-4-17- 19½Ã00ºÐ

 ±¸Á¶¶ó~ºø¼Ó º¬¿¡µ¼ ¸¶¸´¼öÁ¶°úµé¿Ü~
°ÅÁ¦ °¹¹ÙÀ§  °ÅÁ¦Æ÷¼¼À̵·³¬½Ã
 2026-4-17- 18½Ã30ºÐ

 ¤½
°ÅÁ¦ ¼± »ó  °ÅÁ¦¾ßÈ£
 2026-4-17- 17½Ã12ºÐ

 ¡¶´ë¹°°¨¼ºµ¼ ¾îÃÊÈ긲¡·5Â¥5Â¥4Â¥ ¸¹
°ÅÁ¦ ¼± »ó  °ÅÁ¦¶÷º¸ÇǽÌ
 2026-4-17- 16½Ã13ºÐ

 ¡¶°¨¼ºµ¼ ¡·4Â¥4Â¥¿Ü ¸¶¸´¼ö Á¶È² ~
°ÅÁ¦ ¼± »ó  °ÅÁ¦¹ýµ¿Àº¾ÆÈ£
 2026-4-17- 15½Ã05ºÐ

 °¨¼ºµ¼(È긲) 5Â¥ ´ë¹°¿Ü 4Â¥4Â¥4Â¥
°ÅÁ¦ ¼± »ó  °ÅÁ¦´ë¾î³¬½Ã
 2026-4-17- 14½Ã56ºÐ

 °¨¼ºµ¼ 4ÈÄ ´ë¹° Ãâ°Ý!!! »çÀÌÁî ÁÁ½À
°ÅÁ¦ ¼± »ó  °ÅÁ¦¿ëÁøÈ£
 2026-4-17- 13½Ã23ºÐ

 °¨¼ºµ¼ ´ë¹°´ÙÅÍÁÖ°í 5Â¥±Þ,4Â¥·Î Èû
°ÅÁ¦ ¼± »ó  °ÅÁ¦¿À·Î¶ó
 2026-4-17- 11½Ã40ºÐ

 ½Ç½Ã°£ ´ë¹° Ãâ°Ý!!! »çÀÌÁî ÁÁ½À´Ï´Ù
°ÅÁ¦ ¼± »ó  °ÅÁ¦¿ëÁøÈ£
 2026-4-17- 10½Ã45ºÐ

 ¡¶°¨¼ºµ¼ ¡·4Â¥4Â¥¿Ü ¸¶¸´¼ö ÁøÇàÁß
°ÅÁ¦ ¼± »ó  °ÅÁ¦¹ýµ¿Àº¾ÆÈ£
 2026-4-17- 10½Ã35ºÐ

 ¡¶´ë¹°°¨¼ºµ¼ ¾îÃÊÈ긲 ½Ç½Ã°£¡·51cm
°ÅÁ¦ ¼± »ó  °ÅÁ¦¶÷º¸ÇǽÌ
 2026-4-17- 08½Ã16ºÐ

 ¸Å¹°µµ º¬¿¡µ¼ ÆÇ‹š±â Á¶Ç× !!
°ÅÁ¦ °¹¹ÙÀ§  °ÅÁ¦´ëÆ÷½ºÅ¸ÇǽÌ
 2026-4-16- 17½Ã57ºÐ

 °ÅÁ¦ ( ¾î±¸Ç× ÀϼºÈ£ ) °¨¼ºµ¼ µµ´Ù
°ÅÁ¦ ¼± »ó  °ÅÁ¦¾î±¸ÀϼºÈ£
 2026-4-16- 17½Ã31ºÐ

 #°ÅÁ¦¾î±¸¼ö¼ºÈ£#Âüµ¼ º¼¶ô µî ±ÝÀÏÁ¶
°ÅÁ¦ ¼± »ó  °ÅÁ¦¾î±¸¼ö¼ºÈ£
 2026-4-16- 17½Ã06ºÐ

 ´ëºÎ½Ã¸® Æø°ÝÁß~ M¿À¹ö »çÀÌÁî µæ½Ç
°ÅÁ¦ ¼± »ó  °ÅÁ¦´õÈ÷Ʈȣ
 2026-4-16- 15½Ã48ºÐ

 °¨¼ºµ¼ 5Â¥±Þ,4Â¥,»ì¾Æ³ª´Â¹°¶§¿¡ ´ë
°ÅÁ¦ ¼± »ó  °ÅÁ¦¿À·Î¶ó
 2026-4-16- 15½Ã19ºÐ

 ¿Ô´Ù! ¿Ô¾î! ´õºí È÷Æ®! ³¬½Ë´ë ºÎ·¯
°ÅÁ¦ ¼± »ó  ±¸Á¶¶óºòÅ丮ȣ
 2026-4-16- 13½Ã23ºÐ

 °¨¼ºµ¼È긲 5Â¥±Þ,4Â¥ »§ÁÁ°í Èû ÁÁ½À
°ÅÁ¦ ¼± »ó  °ÅÁ¦¿À·Î¶ó
 2026-4-16- 09½Ã25ºÐ

 " Áö½Éµµ Áö¼¼Æ÷ ¸¶¸´¼ö º¬¿¡µ¼ Á¶È²
°ÅÁ¦ °¹¹ÙÀ§  °ÅÁ¦°­¼º³¬½Ã
 2026-4-16- 07½Ã08ºÐ

 ±¸Á¶¶ó~°¹¹ÙÀ§ º¬¿¡µ¼¸¶¸´¼ö¿Ü °¨¼ºµ¼
°ÅÁ¦ °¹¹ÙÀ§  °ÅÁ¦Æ÷¼¼À̵·³¬½Ã
 2026-4-15- 18½Ã51ºÐ

 °ÅÁ¦ ( ¾î±¸Ç× ÀϼºÈ£ ) °¨¼ºµ¼ µµ´Ù
°ÅÁ¦ ¼± »ó  °ÅÁ¦¾î±¸ÀϼºÈ£
 2026-4-15- 18½Ã24ºÐ

 #°ÅÁ¦¾î±¸¼ö¼ºÈ£#µ¼ µµ´Ù¸® µî ±ÝÀÏÁ¶
°ÅÁ¦ ¼± »ó  °ÅÁ¦¾î±¸¼ö¼ºÈ£
 2026-4-15- 16½Ã16ºÐ

 °ÅÁ¦µµÀ±È£ 12ÀÏ(ÀÏ) ¿ÀÀü Á¾ÀÏ º¬¿¡
°ÅÁ¦ ¼± »ó  °ÅÁ¦µµÀ±È£
 2026-4-15- 14½Ã20ºÐ

 ¡¶´ë¹°°¨¼ºµ¼ ¾îÃÊÈ긲¡·4Â¥4Â¥4Â¥4Â¥
°ÅÁ¦ ¼± »ó  °ÅÁ¦¶÷º¸ÇǽÌ
 2026-4-15- 14½Ã19ºÐ

 [Áö½Éµµ&Áö¼¼Æ÷]È帰³¯¾¾ ¼Ó º¬¿¡µ¼Á¶
°ÅÁ¦ °¹¹ÙÀ§  Áö¼¼Æ÷¼±Ã¢³¬½Ã
 2026-4-15- 06½Ã52ºÐ

 °ÅÁ¦ ( ¾î±¸Ç× ÀϼºÈ£ ) °¨¼ºµ¼ ¼Õ¸À
°ÅÁ¦ ¼± »ó  °ÅÁ¦¾î±¸ÀϼºÈ£
 2026-4-14- 17½Ã06ºÐ

 #°ÅÁ¦¾î±¸¼ö¼ºÈ£#°¨¼ºµ¼ µî ±ÝÀÏÁ¶È²
°ÅÁ¦ ¼± »ó  °ÅÁ¦¾î±¸¼ö¼ºÈ£
 2026-4-14- 16½Ã04ºÐ

 ¡¶´ë¹°°¨¼ºµ¼ ¾îÃÊÈ긲¡·4Â¥Áß.ÈĹݵé
°ÅÁ¦ ¼± »ó  °ÅÁ¦¶÷º¸ÇǽÌ
 2026-4-14- 12½Ã32ºÐ

 °¨¼ºµ¼ 5Â¥±Þ,4Â¥¿À¹ö,4Â¥ ±½Àº³ðµé
°ÅÁ¦ ¼± »ó  °ÅÁ¦¿À·Î¶ó
 2026-4-14- 12½Ã23ºÐ

 µ¹µ¼44 °¨¼ºµ¼51.5 Âüµ¼.¹ð¿¡µ¼
°ÅÁ¦ °¹¹ÙÀ§  °ÅÁ¦¸í¼ºÈ£
 2026-4-14- 11½Ã40ºÐ

 ¡¶´ë¹°°¨¼ºµ¼ ¾îÃÊÈ긲 ½Ç½Ã°£¡·4Â¥ÈÄ
°ÅÁ¦ ¼± »ó  °ÅÁ¦¶÷º¸ÇǽÌ
 2026-4-14- 10½Ã10ºÐ

 " Áö½Éµµ Áö¼¼Æ÷ ¾¾¾Ë±Þ ¸¶¸´¼ö º¬¿¡
°ÅÁ¦ °¹¹ÙÀ§  °ÅÁ¦°­¼º³¬½Ã
 2026-4-14- 07½Ã03ºÐ

 ±¸Á¶¶ó~º¬¿¡µ¼ ÆÇ¶¼±âÁ¶°ú¿Ü Âüµ¼ ,°¨
°ÅÁ¦ °¹¹ÙÀ§  °ÅÁ¦Æ÷¼¼À̵·³¬½Ã
 2026-4-13- 19½Ã13ºÐ

 °ÅÁ¦ ( ¾î±¸Ç× ÀϼºÈ£ ) °¨¼ºµ¼ ¼Õ¸À
°ÅÁ¦ ¼± »ó  °ÅÁ¦¾î±¸ÀϼºÈ£
 2026-4-13- 18½Ã32ºÐ

 ¡¶´ë¹°°¨¼ºµ¼ ¾îÃÊÈ긲¡·46.45.45.43
°ÅÁ¦ ¼± »ó  °ÅÁ¦¶÷º¸ÇǽÌ
 2026-4-13- 18½Ã09ºÐ

 #°ÅÁ¦¾î±¸¼ö¼ºÈ£#°¨¼ºµ¼ µî ±ÝÀÏÁ¶È²
°ÅÁ¦ ¼± »ó  °ÅÁ¦¾î±¸¼ö¼ºÈ£
 2026-4-13- 14½Ã31ºÐ

 °ÅÁ¦ ( ¾î±¸Ç× ÀϼºÈ£ ) °¨¼ºµ¼ µµ´Ù
°ÅÁ¦ ¼± »ó  °ÅÁ¦¾î±¸ÀϼºÈ£
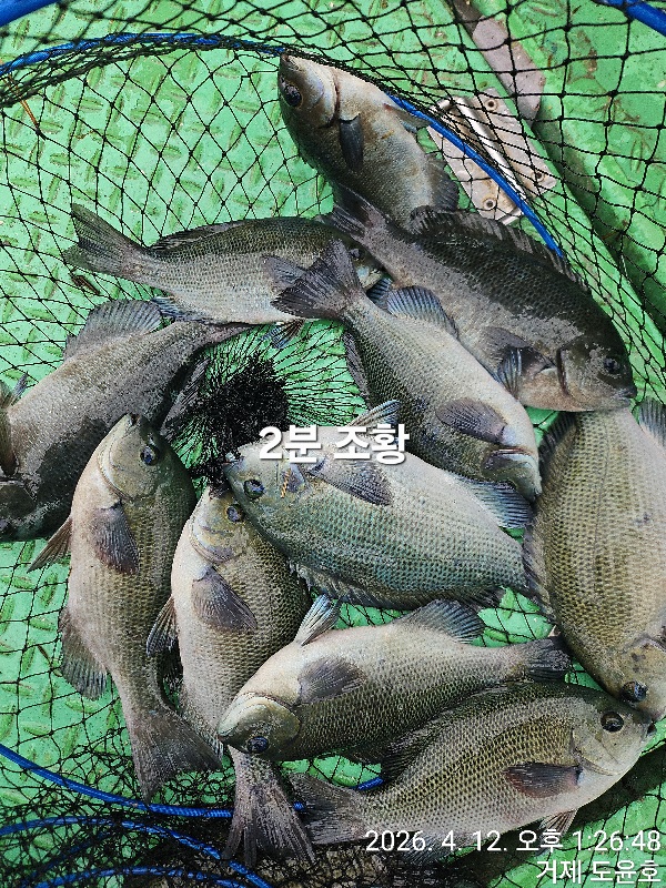
 2026-4-12- 19½Ã50ºÐ

 ¿ÜÆ÷ ¼Ò½ÄÀÔ´Ï´Ù.
°ÅÁ¦ °¹¹ÙÀ§  °ÅÁ¦¿ÜÆ÷³¬½Ã
 2026-4-12- 19½Ã44ºÐ

.
[ °Å Á¦ ±Ç ³¬½ÃÁ¡,³¬½Ã¹è ]
(¹è³Ê µî·Ï¾È³»)
°³ÀÎÁ¤º¸Ãë±Þ¹æÄ§ | À̸ÞÀϹ«´Ü¼öÁý°ÅºÎ | ÀÌ¿ë¾à°ü | ±â»çÁ¦º¸ | °øÁö»çÇ× |      ±¤°í¾È³» | ÇùÂù¾÷üÄÚ³Ê | °ü¸®¸Þ´º


Copyright ©Ï Since 2002.Mar By ºÎ³¬ All Right Reserved
´ëÇѹα¹ ¹Ù´Ù³¬½ÃÀÇ ¸ÞÄ« ºÎ³¬    www.ybada.co.kr / www.bunak.co.kr
»ç¾÷ÀÚ¹øÈ£:602-08-67249     Åë½ÅÆÇ¸Å¾÷½Å°í:¿µµµ-00041  Mail:dscoo@naver.com
ºÎ»ê½Ã ¿µµµ±¸ ÅÂÁ¾·Î 327 (2F)      TEL: 070-8165-2224    H.P: 010-3837-2518
ºÎ³¬°èÁ : ºÎ»êÀºÇà 046-01-033431-1 ÃÖÈ¿±Ô     ¿äû,¹®ÀÇ»çÇ×´Â ¿î¿µÁøÄݶõÀ» ÀÌ¿ëÇØÁÖ¼¼¿ä.
°³ÀÎÁ¤º¸Ãë±Þ¹æÄ§     ÀüÀÚÀûÇ¥½Ãµî·Ï
ºÎ³¬Àº SSLº¸¾È¼­¹ö·Î ȸ¿øÁ¤º¸¸¦
¾ÈÀüÇÏ°Ô º¸È£Çϰí ÀÖ½À´Ï´Ù.