º¸¾ÈÁ¢¼Ó
   
¹è³ÊÀ§Ä¡ ·£´ý
    ½º/Æä/¼È/ÄÚ/³Ê  
³¬½Ã°ü·Ã»çÀÌÆ®

³¬½ÃÅÍ À§Ä¡Ã£±â

³¬½ÃÁ¡Ã£±â
¢º ÇöÀçÁ¢¼ÓÀÚ



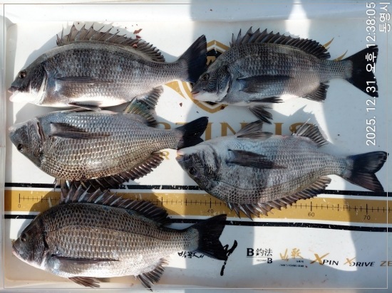
¿À´Ã °¨¼ºµ¼ Ä«°í Á¶È²ÀÔ´Ï´Ù(dzȭ¸®Å¾çÈ£)
2025³â ºÎ»ê/¿ï»ê/°æ»ó±Ç Á¡ÁÖ,¼±Àå Á¶È²Á¤º¸
  °¹¹ÙÀ§ | ¹æÆÄÁ¦ | ¼±»ó | °¹£«¼± | ·ç ¾î 
2024Ò´  | 2023Ò´  | 2022Ò´  | 2021Ò´ 
¿µµµ | ´Ù´ë | °¡´ö |¼Ûµµ,°¨Ãµ |¿ëÈ£µ¿ |ÇØ¿î´ë,¼ÛÁ¤ |±âÀå,Àϱ¤ |¼­»ý,¿ï»ê |°æÁÖ,Æ÷Ç× |ÁøÇØ |¸¶»ê |°í¼º |Å뿵 |°ÅÁ¦ |»çõ,³²ÇØ
2025³â ¢º 12¿ù | 11¿ù | 10¿ù | 9¿ù | 8¿ù | 7¿ù | 6¿ù | 5¿ù | 4¿ù | 3¿ù | 2¿ù | 1¿ù
¤ýÀÛ¼ºÀÚ Ç³È­¸®Å¾çÈ£      

°æ³² Å뿵½Ã »ê¾çÀ¾ dzȭ¸® 326-1   TEL:    H.P: 010-8834-4243  

¤ýÀÛ¼ºÀÏ 2025-12-31 (¼ö) 17:03
¤ý±Ç¿ª Å뿵
¤ý±¸ºÐ  ¼± »ó  Á¶È² 
¤ýÀϽÃ,Àå¼Ò,Àοø 12/31ÀÏ Ç³È­¸®±ÙÇØ 3¸í
¤ý¹°¶§,¹Ù´Ù»óȲ 4¹° ¹Ù¶÷
¤ýÁ¶È¸: 43    
dzȭ¸®Å¾çÈ£
¿À´Ã °¨¼ºµ¼ Ä«°í Á¶È²ÀÔ´Ï´Ù(dzȭ¸®Å¾çÈ£)

dzȭ¸®Å¾çÈ£
¿À´Ã  °¨¼ºµ¼ Ä«°í Á¶È²ÀÔ´Ï´Ù

1/1ÀÏ  ¿¹¾à¿Ï·á       1/2ÀÏ  3¸í¿¹¾à°¡´É
1/3ÀÏ  ¿¹¾à¿Ï·á       1/4ÀÏ  3¸í¿¹¾à°¡´É
1/5ÀÏ  5¸í¿¹¾à°¡´É    1/6ÀÏ  5¸í¿¹¾à°¡´É
1/7ÀÏ  5¸í¿¹¾à°¡´É    1/8ÀÏ  5¸í¿¹¾à°¡´É

½Â¼±Àοø  10¸í
Ä«°í³¬½Ã´ë   ´ë¿©°¡´É
¼±³» ¼ú ¹ÝÀÔºÒ°¡
±¸¸íÂɳ¢ Âø¿ë
¼±ÂøÀå-Å뿵½Ã »ê¾çÀ¾ dzȭÀÏÁÖ·Î 190-14/ÀåÃ̸¶À»È¸°ü¾Õ
ºÎ»ê/¿ï»ê/°æ³²±Ç Á¡ÁÖ,¼±Àå Á¶È²Á¤º¸ ( ÀÌÀüÁ¶È² )
À­±Û ÇØµ¿³¬½Ã/´ºÇص¿È£ 2025ÇÑÇØµµ°¨»çµå¸³´Ï´Ù
¾Æ·¡±Û (¹®¾î)¿øµµ±Ç ´ë¹° ÆøÇ³~3.5K 2.5K ¿Ü K¿À¹ö ÆøÆÈ
12345678910,,,536
¹øÈ£ ±¸ ºÐ ±Ç ¿ª     ±Û Á¦ ¸ñ  ÀÛ¼ºÀÚ ÀÛ¼ºÀÏ Á¶È¸
42875 ¼± »ó ¿øµµ±Çµ¹¹®¾î ¸¶¸´¼öÃÊ´ë¹Ú~ ÁøÇذñµå½ºÅ¸2 2025/12/31 65
42874 ¼± »ó <»ï¼º³¬½Ã>~È긲~µ¢Ä¡±Þ,ºÎ½Ã¸®,¹æ¾î Á¶È² .. ´Ù´ëÆ÷»ï¼º³¬½Ã 2025/12/31 171
42873 ¼± »ó "´ë¹°°¨¼ºµ¼" 5Â¥5Â¥48ºÎÅÍ 4Â¥µé ÆÅÆÅ~Àü¿ø¼Õ¸À .. â¿ø»ç¶ûÈ£ 2025/12/31 73
42872 °¹¹ÙÀ§ ±Ç½ºÅ¸ 25³âÇÑÇØ °¨»ç ÀÎ»ç µå¸³´Ï´Ù ^^ °ÅÁ¦´ëÆ÷½ºÅ¸ÇÇ½Ì 2025/12/31 70
42871 ¼± »ó ¾ËÂ޲ٹ̽ÃÁ𼱺ñÇÒÀÎ(¼±ºñ5¸¸½Ä»çÁ¦°ø) ¿Õ¾ËÂÞ²Ù.. »ïõÆ÷¹Ù´Ù³¬½Ã 2025/12/31 87
42870 ¼± »ó °¨¼ºµ¼(È긲)~4Â¥¿Í3Â¥!¿ì´çÅÁ!Â¥¸´ÇѼոÀ~ ÁøÇØ¿©¸íÇÇ½Ì 2025/12/31 43
42869 °¹¹ÙÀ§ °¡´ö´ëÇ׳¬½Ã[ÇвÇÄ¡]Á¶È²ÀÔ´Ï´Ù. °¡´ö´ëÇ׳¬½Ã 2025/12/31 403
42868 ¼± »ó ºÎ»ê ´º¼ö¼ºÈ£ ŸÀ̶ó¹Ù ½ÃÁð °¡´ö³ìÇØ73È£ 2025/12/31 89
42867 ¼± »ó 30ÀÏ ¾ß°£³«Áö ¿Õ¾¾¾Ëµé ¸¶¸´¼ö ÂßÂß »Ì°í~!! ÁøÇضóÄÚÇÇ½Ì 2025/12/31 43
42866 ¼± »ó °¨¼ºµ¼(´ë¹Ú)5Â¥±Þ,4Â¥,4Â¥,4Â¥,4Â¥±Þµé µÎÀÚ¸®¼ö.. °ÅÁ¦¿À·Î¶ó 2025/12/31 52
42865 ¼± »ó °¡ÀÚÈ£ ¿Õ ¿­±â º¼¶ô ¸¹ÀÌ Àâ¾Ò°í ÁøÇØ¸íµ¿°¡ÀÚÈ£ 2025/12/31 129
42864 ¼± »ó (¼±ºñ 5 ¸¸¿ø )³¡µµ¾øÀÌ ¿Ã¶ó¿Í Àâ¾Æ¿Â ¾ß°£~¿Õ³«.. ÁøÇؼºÁøÇǽÌÈ£ 2025/12/31 91
42863 °¹¹ÙÀ§ °¡´öÀÚÀ¯Àγ¬½Ã °¨¼ºµ¼ Á¶È²ÀÔ´Ï´Ù. °¡´öÀÚÀ¯Àγ¬½Ã 2025/12/31 326
42862 ¼± »ó °¨½ÃÈ긲,47¿Ü,3Â¥µé,,±Â,, ÁøÇØ´ººñÁ¯È£ 2025/12/31 38
42861 ¼± »ó °¨¼ºµ¼ [[ È긲 ]] Á¶È²ÀÔ´Ï´Ù~ ÁøÇؾȰñûÆÄÈ£ 2025/12/31 53
42860 ¹æÆÄÁ¦ Àϱ¤±Ç Á¶È²~~~ Àϱ¤ÀºÆÄ³¬½Ã 2025/12/31 559
42859 °¹¹ÙÀ§ °¡´ö»õ¹ÙÁö³¬½Ã 4Â¥¿Ü¸¶¸´¼ö°¨¼ºµ¼&ÇвÇÄ¡Á¶È² °¡´ö»õ¹ÙÁö³¬½Ã 2025/12/31 471
42858 ¼± »ó °¡´ö⼺ȣ °¨¼ºµ¼ Ä«°í³¬½Ã ´ë¹°½ÃÁðÀÔ´Ï´Ù °¡´ö⼺ȣ 2025/12/31 345
42857 °¹¹ÙÀ§ °¡´öµµ ¿ùô³¬½Ã °¨¼ºµ¼ Á¶È²ÀÔ´Ï´Ù °¡´öµµ¿ùô³¬½Ã 2025/12/31 207
42856 ¼± »ó ºÎ»ê ´º ±Ý¼ºÈ£ 12¿ù 30ÀÏ ¿Õ¿­±â Á¶È² ºÎ»ê´º±Ý¼ºÈ£ 2025/12/31 320
42855 ¼± »ó 12/30 K¹®¾î 2200g¿Ü Ű·Î±Þµé ¸¶¸´¼ö Á¶È².. ÁøÇع°µ¹ÀÌÈ£ 2025/12/31 52
42854 ¼± »ó ´ë¹°°¨¼ºµ¼5Â¥5Â¥48ºÎÅÍ 4Â¥µé ÆÅÆÅ~Àü¿ø¼Õ¸À ¸¶¸´.. â¿ø»ç¶ûÈ£ 2025/12/31 30
42853 °¹¹ÙÀ§ °¡´öÇѹٴٳ¬½Ã Á¶È² °¡´öÇѹٴٳ¬½Ã 2025/12/31 174
42852 ¼± »ó 31ÀÏ ±«¹°´ë»ïÄ¡µé~¹æ¾î °æÁÖÀ¾ÃµÅ×ũȣ 2025/12/31 85
42851 ¼± »ó µ¹¹®¾î) ¹¬Á÷ÇÑ kkk¿À¹ö »çÀÌÁî ~ ¿øµµ±Ç °í°í!!~.. ÁøÇØÁ¦³×½Ã½ºÈ£ 2025/12/31 35
42850 ¼± »ó °¨¼ºµ¼(È긲) 5Â¥±Þ°ú 4Â¥ ÂðÇÑ ¼Õ¸À ±Â Á¶È² ! ÁøÇØ¿¡À̽ºÈ£ 2025/12/31 35
42849 ¼± »ó º´»ê °¨¼ºµ¼45,44,4Â¥¿Ü ¸¶¸®¼ö ¼±»ó¹è µÎô È긲.. º´»ê³¬½Ã·¹Àú 2025/12/31 53
42848 ¼± »ó È긲46¿Ü3Â¥µéÃÑ8¼öµÎºÐÁ¶È² ÁøÇشϸðÈ£ 2025/12/31 38
42847 ¼± »ó È긲, »ýȰ³¬½Ã!!! ¿¬È­¸®Èú¸µÈ£ 2025/12/31 117
42846 ¼± »ó °æµ¿·¹Àú(½Å±¤) ¼±¿Ü±â³¬½Ã ¸¶¸´¼ö °¨¼ºµ¼ Àü¾î Á¶.. dzȭ¸®½Å±¤·¹Á® 2025/12/31 70
42845 °¹¹ÙÀ§ °¡´öÅк¸³¬½Ã °¨¼ºµ¼5Â¥!! 55cm¿Ü4Â¥ ¸¶¸´¼ö~ ÇвÇ.. °¡´öÅк¸³¬½Ã 2025/12/31 544
42844 ¼± »ó °ÅÁ¦ ( ¾î±¸Ç× ÀϼºÈ£ ) °¨¼ºµ¼ ¼Õ¸À ! Àü¸¶¼± Á¶.. °ÅÁ¦¾î±¸ÀϼºÈ£ 2025/12/31 46
42843 ¼± »ó ¾ÆÆú·ÎÇØµ¾À̰¨½ÃÂî¹ßÀÌ5Â¥»ç³É ÁøÇØÀ¯°æ³¬½Ã 2025/12/31 35
42842 ¼± »ó 31ÀÏ~ ÇØ~¿î´ë/¹Ý³ªÀý ¿Õ¿­±â,¿Õ½ôº¬ÀÌ~ ÇØ¿î´ëµ¿ÁøÈ£ 2025/12/31 307
42841 ¼± »ó °¨¼ºµ¼Ä«°í49Â¥¼Õ¸À¯!!! ÁøÇØÇذæÈ£ 2025/12/31 35
42840 °¹¹ÙÀ§ ÇØµ¿³¬½Ã/´ºÇص¿È£ 2025ÇÑÇØµµ°¨»çµå¸³´Ï´Ù ¿µµµÇص¿³¬½Ã 2025/12/31 517
42839 ¼± »ó ¿À´Ã °¨¼ºµ¼ Ä«°í Á¶È²ÀÔ´Ï´Ù(dzȭ¸®Å¾çÈ£) dzȭ¸®Å¾çÈ£ 2025/12/31 42
42838 ¼± »ó (¹®¾î)¿øµµ±Ç ´ë¹° ÆøÇ³~3.5K 2.5K ¿Ü K¿À¹ö ÆøÆÈ.. ÁøÇذ­¹ÎÈ£ 2025/12/31 30
42837 ¼± »ó [È긲]°¨¼ºµ¼4Â¥3ÀÚ¸¶¸´¼ö±Â~¼Õ¸Àº¸·Á°í~ ÁøÇØ´ºÇص¿È£ 2025/12/31 35
42836 ¼± »ó 48¿Üᆢ °ÅÁ¦Àå¸ñµÎ¸®È£ 2025/12/31 50
42835 ¼± »ó (°¨¼ºµ¼)4Â¥4Â¥4Â¥4Â¥ ¿Ü 4Â¥±Þµé ¼Ò³ª±â HIT~ °ÅÁ¦´ë¾î³¬½Ã 2025/12/31 41
42834 ¼± »ó °¨¼ºµ¼(Ä«°í)4Â¥ÈĹÝ.Áß¹Ý.ÃÊ¹Ý±Þ ¸¶¸´¼ö·Î ¼Õ ÁøÇØ·¹ÀúÇÇ½Ì 2025/12/31 69
42833 ¼± »ó ¿ëÀÎ1È£ ±ÝÀÏ ¿­±âÁ¶È²ÀÔ´Ï´Ù~ ÁøÇÏ¿ëÀγ¬½Ã 2025/12/31 105
42832 ¼± »ó (°¨¼ºµ¼)ÁßÄ¡±Þµé ¿Ü ´ë¹° Âüµ¼¶¼ ÅÍÁö°í ºüÁö°í~.. °ÅÁ¦¾ßÈ£ 2025/12/31 33
42831 ¼± »ó 12/30 µ¹¹®¾î k±ÞÀ¸·Î ¼Õ¸À ±Â~ ÁøÇØ»ïÆ÷Ã»ÇØ³¬½Ã 2025/12/31 45
42830 ¼± »ó ¿­±âº¼¶ô,¿Õ¾¾¾Ë,9¸íÀü¿ø¸¸Äð,Âß ´ëÆ÷¿À¡¾îµµÂß ÁøÇش뼺³¬½Ã 2025/12/31 58
42829 ¼± »ó (È긲)°¨¼ºµ¼¶¼ ÁßÄ¡±Þµé Çǵù~¸¶¸´¼ö ÇàÁø~ Å뿵´ë¾çÈ£ 2025/12/31 26
42828 ¼± »ó (°¨¼ºµ¼)ÇØ±Ý°­ ´ë¹° ½ÃÁð~»§»§ÇÑ 4Â¥ ¼Õ¸À ½Å¼ºÈ£.. °ÅÁ¦½Å¼ºÈ£ 2025/12/31 25
42827 ¼± »ó (¹®¾î)2,5K ºò¿ø~¿øµµ±Ç ±½Àº °ø·æ±Þµé ¼ÓÃâ~ Å뿵Çö¼­È£ 2025/12/31 29
42826 °¹¹ÙÀ§ ôÆ÷)ÃÖ¼±Àå~µ¢Ä¡ 4Â¥µé°ú ÇвÇÄ¡´Â Äð·¯·Î~~ ôÆ÷ÃÖ¼±Àå 2025/12/31 106
42825 ¼± »ó ¹®¾î(±â·Ï)4.7K ¾ÐµµÀû ±«¹° ¿Ü 2.1K1.7K1.6K.. °ÅÁ¦°í°íÇǽÌÈ£ 2025/12/31 34
42824 ¼± »ó #°ÅÁ¦¾î±¸Ç× ¼ö¼ºÈ£#°¨¼ºµ¼ µî ±ÝÀÏÁ¶È² °ÅÁ¦¾î±¸¼ö¼ºÈ£ 2025/12/31 38
42823 ¼± »ó (°¨¼ºµ¼)´ë¹° ÁýÁß °ø·« 47Cm ¿Ü 4Â¥4Â¥4Â¥~ °ÅÁ¦Á¨Æ²È£ 2025/12/31 23
42822 ¼± »ó [°¨¼ºµ¼ È긲]4Â¥¿Ü ¸¶¸®¼ö È£Á¶È²!! ÁøÇغò¸¶¸¶È£ 2025/12/31 37
42821 ¼± »ó È긲46¿Ü3Â¥ÃÑ8¼öµÎºÐÁ¶È² ÁøÇشϸðÈ£ 2025/12/31 26
42820 ¼± »ó ´ëÇ×11È£ Ä«°í 55.54.´ë¹°µé ¾îÁ¦Á¶È² °¡´ö´ëÇ×11È£ 2025/12/31 184
42819 °¹¹ÙÀ§ ¸¸³²ÇǽÌ43¿Ü°¨¼ºµ¼/ÇвÇÄ¡Àâ¾îÁ¶È²ÀÔ´Ï´Ù ´ëÇ׸¸³²³¬½Ã 2025/12/31 359
42818 ¼± »ó 1/30 K¹®¾î ´ë¹°2200g¿Ü Ű·Î±Þµé ¸¶¸´¼ö Á¶È².. ÁøÇع°µ¹ÀÌÈ£ 2025/12/31 36
42817 ¼± »ó 12/31ÀÏ ±âÀå±Ç ºÓÀº ¿­±â ¾¾¾Ë ¸¶¸®¼ö ±Â±Â±Â ÀÔ.. Àϱ¤³²ÇعٴÙÈ£ 2025/12/31 136
42816 ¼± »ó Æç¸¯½ºÈ£]ºò°ÔÀÓ.´ë¹æ¾î.»Ñ½Ã±â!!³¡³»ÁÖ´Â ¼Õ¸À~ °ÅÁ¦Æç¸¯½ºÈ£ 2025/12/31 41
42815 ¼± »ó 30Àϼ¼ÁøÈ£/µ¹¹®¾îkg¸¶¸´¼ö~ ÁøÇؾȰñ¼¼ÁøÈ£ 2025/12/31 62
42814 ¼± »ó ¾ß°£ ³«Áö(6¸¸¿ø)¿Õ³«Áö¿¡,,¹®¾î¿¡,,ÁÁ´Ù~~ ÁøÇسªµå¸®È£ 2025/12/31 48
42813 ¼± »ó ¾ÆÆú·ÎÇØµ¾À̰¨½ÃÂî¹ßÀÌ5Â¥»ç³É ÁøÇØÀ¯°æ³¬½Ã 2025/12/31 45
42812 ¼± »ó ¸Õ¹Ù´Ù ´ëÆ÷±Þ ¿Õ ¿À¡¾î ¸Ô¹°ÆøÅº ¿À¡¾î Á¶È² ÁøÇذ³¼ºÇÇ½Ì 2025/12/31 104
42811 ¼± »ó 30ÀÏ ¾ß°£³«Áö ¿Õ¾¾¾Ëµé ¸¶¸´¼ö ÂßÂß »Ì°í~!! ÁøÇضóÄÚÇÇ½Ì 2025/12/31 28
42810 ¼± »ó [¼Ûµµ ±¤¼ºÈ£] 30ÀÏ Å¸À̶ó¹Ù Á¶È²~ ÅäÀÏ Å¸À̶ó¹Ù.. ¼Ûµµ±¤¼ºÇÇ½Ì 2025/12/31 87
42809 Á ´ë °¡´öõ¼ºÁø¾ç Á´볬½Ã ¾ß°£ (25/12/31/¼ö) °¡´öõ¼ºÁø¾çÁ´ë 2025/12/31 305
42808 ¼± »ó ´ÙÀÚ¹ÙÇÇ½Ì Á¶±âö¼ö ¼±»óÄ«°í ´ë¹° °¨¼ºµ¼ Á¶È²ÀÔ.. °¡´öÈï°³¹ÌÈ£ 2025/12/31 144
42807 ¼± »ó µ¹½ºÈ£/µ¹µ¼ ¸¶¸®¼ö~¾¾¾Ë±Þ Âüµ¼~¹æ¾î ºÎ½Ã¸® È긲.. ´Ù´ëÆ÷µ¹½ºÈ£ 2025/12/31 179
42806 ¼± »ó Àü¿ø¼Õ¸À~ ¾¾¾Ë±Â~ ³«Áö~4¿ù~5¿ù±îÁö Âß~~ ÁøÇسª·¡È£ 2025/12/31 38
42805 °¹+¼± ¿Õ¿À¡¾î Á¶È²! ÁøÇؿ츮ÇÇ½Ì 2025/12/31 110
42804 ¼± »ó Áøµ¿´º¼ºÁøÈ£/°¨¼ºµ¼ 47.45ÀÌÇÏÁ¶È² ¸¶»ê´º¼ºÁøÈ£ 2025/12/31 84
42803 ¼± »ó ¿­±â ÇØµ¸ÀÌ~~ ºÎ»êÇÇ¿À¸£µåÈ£ 2025/12/31 251
42802 ¼± »ó µ¹¹®¾î) ¿øµµ±Çµ¹¹®¾î KKK »çÀÌÁî ±Â~ °í°í!!~ ÁøÇØÁ¦³×½Ã½ºÈ£ 2025/12/31 40
42801 ¼± »ó [½ÅÁ¶¼±]±½Á÷ÇÑ2.4k(¹«·á½Â¼±±Ç)±Þ¿ÜÀå¿ø15¼ö~ ÁøÇØ´ºÇذæÈ£ 2025/12/31 40
42800 ¼± »ó [ÁøÇØ´ë¹Ú³¬½Ã]Âüµ¼ ŸÀ̶ó¹Ù ÁøÇØ´ë¹Ú³¬½Ã 2025/12/31 62
42799 ¼± »ó °¨¼ºµ¼(È긲) 5Â¥±Þ°ú 4Â¥ ÂðÇÑ ¼Õ¸À ±Â Á¶È² ! ÁøÇØ¿¡À̽ºÈ£ 2025/12/31 52
42798 ¼± »ó ¿Õ¿­±â~¿Õ½ô¹ðÀÌ ~Àü¿ø¸¸Äð ÇØ¿î´ë¿µ±ÇÈ£ 2025/12/31 271
42797 ¼± »ó (dz»ê)¾ß°£ ³«Áö! ¹¬Á÷ÇÑ! ¾¾¾Ë ´ë¹ÚÀÔ´Ï´Ù!! ÁøÇØÇ³»êÈ£ 2025/12/31 47
42796 ¼± »ó °¨¼ºµ¼(½Ç½Ã°£)5Â¥±Þ,4Â¥,4Â¥,4Â¥±ÞµéÀÌÇϸ¶¸®¼ö .. °ÅÁ¦¿À·Î¶ó 2025/12/31 30
12345678910,,,536
°³ÀÎÁ¤º¸Ãë±Þ¹æÄ§ | À̸ÞÀϹ«´Ü¼öÁý°ÅºÎ | ÀÌ¿ë¾à°ü | ±â»çÁ¦º¸ | °øÁö»çÇ× |      ±¤°í¾È³» | ÇùÂù¾÷üÄÚ³Ê | °ü¸®¸Þ´º


Copyright ©Ï Since 2002.Mar By ºÎ³¬ All Right Reserved
´ëÇѹα¹ ¹Ù´Ù³¬½ÃÀÇ ¸ÞÄ« ºÎ³¬    www.ybada.co.kr / www.bunak.co.kr
»ç¾÷ÀÚ¹øÈ£:602-08-67249     Åë½ÅÆÇ¸Å¾÷½Å°í:¿µµµ-00041  Mail:dscoo@naver.com
ºÎ»ê½Ã ¿µµµ±¸ ÅÂÁ¾·Î 327 (2F)      TEL: 070-8165-2224    H.P: 010-3837-2518
ºÎ³¬°èÁ : ºÎ»êÀºÇà 046-01-033431-1 ÃÖÈ¿±Ô     ¿äû,¹®ÀÇ»çÇ×´Â ¿î¿µÁøÄݶõÀ» ÀÌ¿ëÇØÁÖ¼¼¿ä.
°³ÀÎÁ¤º¸Ãë±Þ¹æÄ§     ÀüÀÚÀûÇ¥½Ãµî·Ï
ºÎ³¬Àº SSLº¸¾È¼­¹ö·Î ȸ¿øÁ¤º¸¸¦
¾ÈÀüÇÏ°Ô º¸È£Çϰí ÀÖ½À´Ï´Ù.