°Ü¿ï Âüµ¼
   »ç/Áø/Á¶/Çà/±â  Ãß¾ïÀÇ Á¶ÇàÀ» »çÁøÀ¸·Î ³²°Üº¸½Ã±â ¹Ù¶ø´Ï´Ù
  ¡á »çÁøÁ¶Çà±â¸¦ °£´ÜÈ÷ ÀÛ¼º°¡´É ! »çÁø°ú ÄÚ¸àÆ®¸¦ µ¿½Ã¿¡, 15Àå±îÁö µî·Ï°¡´É ( »çÁø1Àå ¿ë·® : 600KB Á¦ÇÑ )
  ¡Ü ºÐ±âº°·Î ¿ì¼ö»çÁøÁ¶Çà±â¸¦ ¼±Á¤ÇÏ¿©, ³¬½Ã¿ëǰÀ» ¼±¹°·Î º¸³»µå¸³´Ï´Ù [ ÆÛ¿Â»çÁø/¸µÅ©µÈ»çÁøÀº »èÁ¦µÊ ]
  ¡Ü ¹Ýµå½Ã »çÁø12ÀåÀÌ»óÀ» µî·ÏÇØ¾ßÇϸç, °¡·Î 640PX ÀÌ»óÀ̾î¾ß ÇÕ´Ï´Ù ! ( 12ÀåÀÌÇÏ ³¬½Ã°¶·¯¸®¸¦ ÀÌ¿ë )
  ¡Ü »çÁøµéÀº °è¼Ó º¸Á¸µÇ¾î¾ß ÇϹǷÎ,¿ë·®,Æ®·¡ÇȰü°è·Î ÀÛǰ¼º,Á¤º¸°¡Ä¡ ¾ø´Â ´Ü¼øÇÑ»çÁøÀº À̵¿µË´Ï´Ù.
  °Ü¿ï Âüµ¼      
¤ýÀÛ¼ºÀÚ ¹°µµ±úºñ        
Ãßõ: 0   Á¶È¸: 1621     2024/01/30 (È­)  
IP: 122.xxx.188
°Ü¿ï Âüµ¼

¡ã ¸ÞÀÎ

 

D+1

¾ó¸¶³ª ±â´Ù·È³ª?

ÁÖ¸» Åä¿äÀÏ

¸îÁÖ°£ °è¼Ó µÇ¾ú´ø ³¯ ±ÄÀÌ ´öºÐ¿¡ ¹æÄÛÀÌ ÀÏ»óÀÌ µÇ¾ú´Ù°¡ ÇØ¹æ µÈ ¿À´Ã

»õº® 3½Ã¿¡ ÀϾ ¼³·¹ÀÓ¿¡ À̰ÍÀú°Í ¼Òǰ Çϳª¶óµµ ºüÁø °Í ¾ø´ÂÁö ì°Üº»´Ù

 

¿À´ÃÀÇ ¼±»ç´Â ³²ºÎ¹Îµ¿ÀÇ À¯°­ÇǽÌ

Ç×»ó Ä£ÀýÇÑ »ç¸ð´ÔÀÌ ¹Ý°ÜÁÖ½Ã¸ç µû¶æÇÏ°í ¸À³­ ¸ð´× Ä¿ÇÇ ÇÑÀÜÀ» ³»¾îÁֽŴÙ

Âüµ¼ ŸÀ̶ó¹Ù ÃâÁ¶

»õº® 06½Ã30ºÐ¿¡ ¿Ü¼¶ ±Ùó Æ÷ÀÎÆ®·Î ÃâÇ×Çϴµ¥

½Ò½ÒÇÑ °Ü¿ï³¯¾¾ ÃßÀ§°¡ ½º¹É½º¹É ¿Ê±ê »çÀÌ·Î ÆÄ°í µé¾î¿Â´Ù

 

äºñ¸¦ ³»·Áº¸´Ï ¹°µµ Àß ¾È°¡°í ±×µ¿¾È ÁÖÀǺ¸ ¶§¹®ÀÎÁö ¹°»ö ¿ª½Ã

¾È ÁÁÀº »óȲÀÌ¸ç ¿­½Ã °æ

¹°ÀÌ ¹Ù²î¾î¾ß ÀÔÁúÀÌ ¿ÃµíÇÑ »ý°¢ÀÌÁö¸¸

±×·¡µµ ¸Å ¼ø°£ ±â´ë°¨¿¡ ³¬½Ã°¡ ¾ó¸¶³ª Áñ°Å¿îÁö

ŸÀ̶ó¹Ù ³¬½Ã´Â Ç×»ó ±äÀå°ú ¼³·¹ÀÓ¿¡

¹Ù´Ú Âï°í °¨±â ¿¬¼ÓÀÌ¸ç Æ¯À¯ÀÇ ¾î½ÅÀÌ µé¾î¿À¸é Ãʸ´´ë°¡ µÎµÎµÏ µÎµÎµÏ

°è¼Ó µû¶ó¿À¸ç ÀÔÁúÇØ¿À´Â Âüµ¼ ³à¼®

¿Â¸öÀÇ ½Å°æÀÌ ÁýÁߵǸç ÈïºÐÀÇ µµ°¡´Ï·Î ºüÁö°Ô ÇØÁÖ´Â Âüµ¼ ³¬½Ã

ÀÌ ¼Õ¸À°ú ¼³·¹ÀÓÀ» ¾îÂî ÀØÀ» ¼ö ÀÖÀ»´ÂÁö~

 

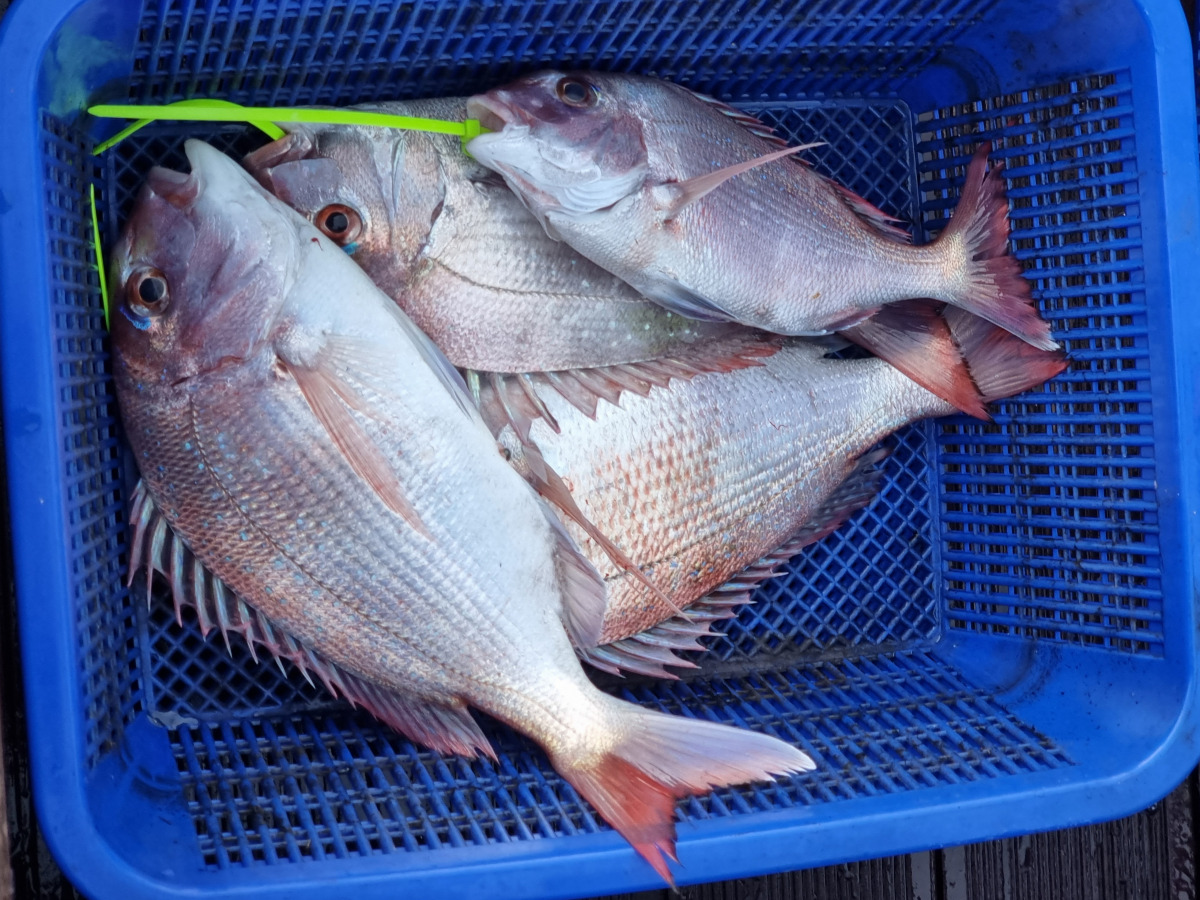
4Â¥ Âüµ¼ ÇÑ ¸¶¸®°¡ ¹°°í ¿Ã¶ó ¿Ô´Ù

À̰ÍÀú°Í äºñ¿Í Çìµå¸¦ ±³Ã¼ÇØ °¡¸é¼­ ±×³¯ÀÇ ÆÐÅÏÀ» ªO¾Æ¾ß

ÀÔÁúÀ» ¹Þ°í ¹Ù·Î Á¶°ú·Î ÀÌ·ç¾îÁö´Âµ¥ ¶ÇÇÑ ¹°»ö Á¶·ù »óŵîÀ» ³ª¸§ ºÐ¼®Çϰí

¸Â´Â äºñ·Î ¼±ÅÃÇÏ¿© ÀÔÁúÀ» ¹Þ¾ÒÀ» ¶§ ŸÀ̶ó¹ÙÀÇ ±× ¸À

ŸÀ̶ó¹Ù´Â ³¬½Ã´Â ¹Ù´Ú Âï°í ¸®Æ®¸®ºê ¿¬¼ÓÀ¸·Î ´Ü¼øÇÑ ³¬½Ã °°Áö¸¸

Çϸé ÇÒ¼ö·Ï ¸Ó¸®°¡ º¹ÀâÇÏ°í ¾î·Á¿î ³¬½Ã°¡ ºÐ¸íÇÏ´Ù

ÇÏÁö¸¸ ²ÙÁØÇÑ ÃâÁ¶¿¡ ÇϳªÇϳª ¹è¿ö°¡°í ÀÍÇô°¡¸é ¸¶¸´¼öµµ °¡´ÉÇÒ °Í °°¾Ò´Ù

 

±×·¡µµ ¾î·Á¿î ¹Ù´Ù »óȲ¿¡¼­ 4¸¶¸® Á¶°ú·Î ¸¸Á·Çϸç

Áý¿¡ µé·¯ ¿·Áö±â¿Í ÇÔ²² ¾ç»êÀÇ ¸·³»µ¿»ý ÁýÀ¸·Î ¹è´Þ ÈÄ

´ÊÀº Àú³á¸Ô°í Áý¿¡ µµÂøÇؼ­ ¹êµå¿¡ µé¾î°¡º¸´Ï

ÀÏ¿äÀÏ ÇÑÀÚ¸® ³²¾Ò´Ù

¹ã ¿­Çѽà ³Ñ¾î ÇÑ ÀÚ¸® ±ä±Þ ¿¹¾à ¿Ï·á

³»ÀÏÀÌ ±â´ëµÈ´Ù

 

D+2

¾îÁ¦¿Í ¶È °°ÀÌ ³²ºÎ¹Îµ¿ À¯°­Çǽ̿¡ µµÂø

¿Ü¼¶ ±Ùó¿¡ µµÂøÇÏ¿© ¸î ±ºµ¥ Æ÷ÀÎÆ®¿¡¼­ ³¬½Ã¸¦ ÇØº¸¾ÒÁö¸¸ ¿©°ÇÀÌ ¹«Ã´ ¾ÈÁÁÀº»óÅÂ


¿¹º¸¿Í´Â ´Þ¸® ¹Ù¶÷°ú ³Ê¿ï·Î ¸öÀ» °¡´©Áö

¸øÇÒÁö°æÀ¸·Î Èûµé°í Á¶·ù°¡ ¾ó¸¶³ª °­ÇÑÁö äºñ¸¦ ³»¸®¸é 130¹ÌÅÍ ³¯¸®°í

¹Ù´Ú µÎ¼­³Ê¹ø Âï¾îº¸¸é 200¹ÌÅͰ¡ ÈξÀ ³Ñ¾î°¡´Â ¾ÇÁ¶°Ç

¹°ÀÌ ¹Ù²î¸é ÁÁ¾ÆÁú°Å¶ó°í ¿¹»óÇÏ¿´Áö¸¸ ´õ Á¶°ÇÀÌ ¾ÇÈ­ µÇ ¹ö¸° »óÅÂ

10½Ã ³Ñ¾î ¼±Àå´ÔÀÌ ¸¶ÀÌÅ©·Î ¼±¼ö¾ÕÀ¸·Î ¸ðµÎ ÁýÇÕÇ϶ó°í ÇÑ´Ù

ÀÌ »óȲ¿¡¼­´Â ŸÀ̶ó¹Ù ³¬½Ã°¡ ¾î·Æ°í ¾ÈÀüÀ» À§Çؼ­ Á¶±â ÀÔÇ×ÀÌ ¾î¶°³Ä°í

ȸ¿øºÐµé°ú ÀdzíÀ» ÇÑµÚ ÀÔÇ×À» °áÁ¤ÇϽðڴٰí

¸ðµÎµé ÀÔÇ×Çϱâ·Î ÇÕÀÇ °áÁ¤

ÀÔÇ× ÈÄ »ç¹«½Ç¿¡¼­ ¼±ºñ ȯºÒó¸®¿Í ´ÙÀ½ ÁÖ¸»·Î À̵¿ ¿¹¾à Áß ¿øÇÏ´Â ¹æ½ÄÀ¸·Î

ó¸®ÇØ Áֽó׿ä

À¯°­ÇÇ½Ì ¼±»ç ÀÓ¿øÆÀ ±×¸®°í ºü¸£°Ô °áÁ¤ÇØÁֽм±Àå´Ô ½ÇÀå´Ô ¸ðµÎ¿¡°Ô °¨»çµå·Á¿ä

Á¤¸» ÈÆÈÆÇÏ°í µû¶æÇÑ °Ü¿ï ŸÀ̶ó¹Ù ³¬½Ã¿´½À´Ï´Ù

À̹ø ÁÖ Åä¿äÀÏ Å¸À̶ó¹Ù ¶Ç ±â´ëµË´Ï´Ù

 

¹°µµ±úºñ

2024,01,30




¡ã ÃâÁ¶


¡ã äºñÁغñ


¡ã ¿Ü¼¶ Æ÷ÀÎÆ®


¡ã Æ÷ÀÎÆ®À̵¿


¡ã äºñ ¼öÀÛ¾÷


¡ã äºñ ±â¼ºÇ°


¡ã äºñ ±â¼ºÇ°


¡ã äºñ¸ðÀ½


¡ã ¹Ù´Ã Á¦°Å¿ë


¡ã Çìµå¿Íû°³ºñ


¡ã ¼±½Ç¸Ô°Å¸®


¿À´ÃÀÇÁ¶°ú


Á¶°úÀÎÁõ¼¦


ö¼ö Àú³á³ëÀ»

̵̧
À̸§¾ÆÀÌÄÜ ¹Ù´ÙºÎ¾ûÀÌ
2024-01-30 06:11
'¹°µµ±úºñ' ´ÔÀÌ ¼±ÅÃÇÑ ±Û ÀÔ´Ï´Ù.
ŸÀ̶ó¹Ù°¡ Èûµé°í ¾î·Á¿î ³¬½Ã¶ó°í ÀÌ¾ß±ä ¸¹ÀÌ µé¾ú½À´Ï´Ù.
³ª¸§ Áغñ¹°µµ ¸¹°í »ý°¢º¸´Ù ¸¹Àº ¼ÒǰÀÌ µé¾î °¡´Â°Í °°³×¿ä
ù³¯Àº 4¸¶¸®¶óµµ ¼Õ¸ÀÀ» º¸½Ã±¸ µ¹¾Æ ¿À½Ã¾î ³ª¸§ ¼Õ¸ÀÀº º¸½Å°Í °°½À´Ï´Ù¸¸
´ÙÀ½³¯Àº ³Ê¿ï°ú ¹Ù¶÷À¸·Î ÀÎÇÏ¿© ȸÇ×À» ÇÏ¿´±º¿ä
¼±ÁÖÀÇ °áÁ¤ÀÌ ÂüÀ¸·Î ÁÁ¾Æ º¸ÀÔ´Ï´Ù.
¿äÁò ÃâÇ׸¸ ÇÏ¸é ±×°ÍÀ¸·Î ³¡À» ³»¹ö¸®´Â ¼±ÁÖµµ ¸¹Àºµ¥
ȯºÒ¾Æ´Ï¸é ´Ù¸¥³¯·Î ´ëó¸¦ ÇÏ´Â ¼±ÁÖÀÇ °áÁ¤ÀÌ ³Ê¹« ¸ÚÀÖ°Ô º¸À̳׿ä
¾Æ·ê·¯ ¸ÅÀÎÀÇ °Ü¿ï Âüµ¼ ¹ÌÀÎÀÇ ¾ó±¼ »çÁøÀÌ ³Ê¹« Àß ¸¸µå½Å°Í °°½À´Ï´Ù.
º¸±âÂü ÁÁ½À´Ï´Ù.
´ÙÀ½ÀÇ Å¸À̶ó¹Ù°¡ ´Ù½Ã ±â´Ù·Á Áý´Ï´Ù. ³Ê¹« ´ë¸® ¸¸Á· ¸¹ÀÌ ÇÏ°í °©´Ï´Ù.
´ÙÀ½µµ ´õ¿í ¸ÚÁø Á¶°ú ±â´ë ÇϰڽÀ´Ï´Ù. ¼ö°í Çϼ̽À´Ï´Ù.
¹°µµ±úºñ ŸÀ̶ó¹Ù ¿ø¸®´Â ´Ü¼øÇÏÁö¸¸ ½ºÅ³Àº ´Ù¾çÇÏ¿© º»ÀÎÀÇ ÃëÇâ°ú »ý°¢ÇÏ´Â ¹æ½Ä¿¡µû¶ó ´Ù¾ç ÇÏ°Ô ÀÀ¿ëÇÏ¿© Âüµ¼À» ³¬´Â ±â¹ý¿¡ Èï¹Ì°¡ ´õ ÇØ Áö´Â°Í °°½À´Ï´Ù
Ç×»ó ÇÔ²²ÇÑ È¸¿ø´Ô²² ¹è·ÁÇØÁֽô ¼±»ç¿¡ °¨»ç µå¸³´Ï´Ù
¿äÁò º¸±â Èûµç ¸ð¹üÀûÀÎ ¼±»ç·Î ¾öÁö ô ÀÔ´Ï´Ù ¤¾~~
°¨»çÇÕ´Ï´Ù ^*^
1/30 15:02
   
À̸§¾ÆÀÌÄÜ ¶¯°¨½Ã
2024-01-30 06:23
ȸ¿ø»çÁø
'¹°µµ±úºñ' ´ÔÀÌ ¼±ÅÃÇÑ ±Û ÀÔ´Ï´Ù.
¸ÚÁø ³¬½ÃÇÏ½Ã°í ¿À¼Ì³×¿ä
´ÙÇàÈ÷ ¼Õ¸ÀÀ» º¸¼Ì´Ù´Ï
ÃàÇϵ帳´Ï´Ù
¹Ù´Ù dz±¤ÀÌ ³Ê¹«³ª ¸ÚÁý´Ï´Ù
±×¸®°í ŸÀ̶ó¹Ù¿¡ ´ëÇÑ
ÀÚ¼¼ÇÑ Á¤º¸±îÁö
´öºÐ¿¡ Àߺ¸°í Àß¹è¿ì°í °©´Ï´Ù
°¨»çµå¸®°í ¼ö°íÇϼ̽À´Ï´Ù ^^
¹°µµ±úºñ ŸÀ̶ó¹Ù À帣µµ ´Ù¾çÇÏÁö¸¸ ƯÈ÷ Âüµ¼ ŸÀ̶ó¹Ù´Â ±äÀåÀÇ ¿¬¼ÓÀ̸ç
¸±À» ÇѹÙÄû °¨¾Æ¿Ã¸®¶§ ½ÉÀåÀÌ ¤¾~~
Âü Àç¹Ì³­ À帣ÀÎ°Í °°½À´Ï´Ù
°¨»çÇÕ´Ï´Ù ^*^
1/30 15:04
   
À̸§¾ÆÀÌÄÜ ¼ö°¡
2024-01-30 10:52
'¹°µµ±úºñ' ´ÔÀÌ ¼±ÅÃÇÑ ±Û ÀÔ´Ï´Ù.
ŸÀ̶ó¹Ùµµ ¼ÒǰÀÌ Á¦¹ý ¸¹À̵é¾î °¡´Â°Í °°½À´Ï´Ù.
¼Òǰ Çϳª ±¸ÀÔÇϸ鼭 ¼³·¹´Â ¸¶À½ÀÌ »õ»ï ÀüÇØÁö´Â°Í °°½À´Ï´Ù
¹è¸¦ Ÿ°í Ãâ¹ßÇϸ鼭 ³¬½ÃÁÙÀ» ¹°¼Ó¿¡ ³Ö±âÀü±îÁö
¼³·¹ÀÓµµ ´À³¢¾î Áö´Â°Í °°±¸¿ä
ÇѸ¶¸®ÇѸ¶¸® Àâ¾î¸é¼­ ÈïºÐ°ú ±â´ë°¨µµ
¸¹ÀÌ ÀüÇØÁö´Â ÇöÀåÀÇ ´À³¦ÀÌ °­ÇÑ ±ÛÀÌ ÀÌ¿´½À´Ï´Ù.
´öºÐ¿¡ ´ë¸® ¸¸Á· ¸¹ÀÌ ÇÏ°í °©´Ï´Ù. ¼ö°í Çϼ̽À´Ï´Ù.
Âüµ¼ ¼Õ¸À º¸½Å°Í ÃàÇÏ µå¸³´Ï´Ù.
¹°µµ±úºñ ±äÀåÀÇ ¿¬¼Ó¿¡¼­ ÀÔÁúÀÌ ¿À¸é ÈïºÐÀÇ µµ°¡´Ï¿¡ ºüÁö°ï ÇÕ´Ï´Ù
Âüµ¼°úÀÇ ¹Ð´ç
Çѹø ºüÁö¸é ³ª¿Ã¼ö ¾ø´Â À帣 °°½À´Ï´Ù ¤¾~~
°¨»çÇÕ´Ï´Ù ^*^
1/30 15:06
   
À̸§¾ÆÀÌÄÜ ¿ô´Â¹è²Å
2024-01-30 11:47
ȸ¿ø»çÁø
¸ÞÀÎ »çÁøÀÌ ³Ê¹« Àß ¸¸µå½Å°Í °°½À´Ï´Ù.
Âüµ¼ ¸ð½ÀÀÌ ´õ¿í ÀÌ»Û°Í °°½À´Ï´Ù.
¾¾¾ËÀº Å«°ÍÀº ¾Æ´ÏÁö¸¸ ÁغñÇϽðí §³»À½ ¸Ã¾î¸é¼­
4¸¶¸®ÀÇ Âüµ¼ ¼Õ¸ÀÀ» º¸½Ã±¸ µ¹¾Æ ¿À½Å°Í ÃàÇÏ µå¸³´Ï´Ù.
ŸÀ̶ó¹Ùµµ ÁغñÇÒ°Ô Âü ¸¹Àº°Í °°½À´Ï´Ù.
»çÁøÁ¶Çà±â¶ó¼­ ´õ¿í °£Á¢ÀûÀÎ ´ë¸®¸¸Á· Ç×»ó ´öºÐ¿¡ ¸¹ÀÌ Çϰí ÀÖ½À´Ï´Ù.
³Ê¹« Àß º¸°í °©´Ï´Ù. ´ÙÀ½ Á¶Çà±âµµ Á»´õ Ȱ±âÂ÷°í ÁÁÀº Á¶Çà±â°¡
µÇ½Ã±æ ±â´ë ÇØ º¸°Ú½À´Ï´Ù.
´ë¸®¸¸Á· ¸¹ÀÌ ÇÏ°í °©´Ï´Ù. ¼ö°í Çϼ̽À´Ï´Ù.
¹°µµ±úºñ Æ÷Åä˜ÞÀ¸·Î ¸ÞÀÎ »çÁø ÇÑÄÆ ¸¸µé¾î º¼¶§ ¸¹Àº »ý°¢À» ÇØ º¸°ïÇÕ´Ï´Ù
½Ç·ÂÀÌ ºÎÁ·ÇÏÁö¸¸ ÃÖ´ëÇÑ ±¸»óÇÏ°í ³ë·Â°ú ½Ã°£ÀÌ ÇÊ¿äÇÏ´ø±º¿ä
Áö±Ý ºÎ»ê ¿Ü¼¶¿¡¼­ ¿Ã¶ó¿À´Â Âüµ¼ ¾¾¾ËÀÌ Á¡Á¡ Ä¿Áö°í Àִ°ÍÀ» ´À³¥ ¼ö ÀÖ¾ú½À´Ï´Ù
º¸Åë 40ÀüÈÄ ½ÎÀÌÁî´ø±º¿ä
°¨»çÇÕ´Ï´Ù ^*^
1/30 15:11
   
À̸§¾ÆÀÌÄÜ ³¬½Ã°¡ÃÖ°í
2024-01-30 17:48
ȸ¿ø»çÁø
Æ÷Åä˜Þ ³Ê¹« Àß ¸¸µå½Å°Í °°½À´Ï´Ù.
½Ç·ÂÀÌ ºÎÁ·ÇѰÍÀÌ ¾Æ´Ï¶ó ¾ÆÁÖ ÈḢÇÕ´Ï´Ù.
Âüµ¼ »çÀÌÁî°¡ ¾ÆÁÖ ÁÁÁö´Â ¸øÇÏÁö¸¸ ³ª¸§ ¼Õ¸À º¸½Å°Í ÃàÇÏ µå¸³´Ï´Ù.
Ç×»ó »çÁøÀÌ ¸¹¾Æ¼­ º¸¸é¼­ ´ë¸®¸¸Á· ¸¹ÀÌ ÇÏ°í °©´Ï´Ù.
Àß º¸°í °©´Ï´Ù. °¨»çÇÕ´Ï´Ù. ¼ö°í Çϼ̽À´Ï´Ù.
¹°µµ±úºñ ºÎÁ·ÇÑÁ¡ ä¿öÁּż­ °¨»ç µå·Á¿ä
Âüµ¼ ´ë¹°Àº °¡²û¾¿ º¸ÀÌ´ø±º¿ä
Á¶»ç´Ôµé ¸»¾¸¿¡ ´ë¹°Àº ¾îº¹ÀÌ¸ç ¸¶¸´¼ö´Â ½Ç·ÂÀÌ ´Ù ¶ó°í ¤¾~
¾ÆÁ÷µµ Àú´Â Ãʺ¸¶ó ¸¹ÀÌ º¸°í ¹è¿ö¾ßÇÒ µí ÇÕ´Ï´Ù
°¨»çÇÕ´Ï´Ù ^*^
1/30 22:31
   
À̸§¾ÆÀÌÄÜ Â¯¾Æ¾Æºü
2024-01-31 16:22
ȸ¿ø»çÁø
Çä »çÁø¿¡ ³»°¡ÀÖ³×¿ä ±×³¯°°Àº¹è¿¡ ÀÖ¾ú³ªº¾´Ï´Ù Àü Áß°£¿¡¼­  °Ü¿ì2¸¶¸®Àâ¾Æ¼­¿·¿¡°è½ÃºÐ µå¸®°í¿Ô´Âµ¥ ¸¹ÀÌ ÀâÀ¸¼Ì³×¿ä
¹°µµ±úºñ ¹Ý°©½À´Ï´Ù
¿©·Æ°Ô ÀâÀº Âüµ¼ ³ª´® Çϼ̱º¿ä
Á¤¸» ÁÁÀº ÀÏ Çϼ̽À´Ï´Ù
Àú´Â ±×³¯ 12¹ø¿¡ ÀÖ¾ú´Âµ¥ 4¸¶¸®´Â ¿îÀÌ ÁÁ¾Ò´ø°Í °°½À´Ï´Ù
´ÙÀ½¿¡ Ȥ½Ã ºË°ÔµÇ¸é ÀÎ»ç ³ª´©ÁÒ ¤¾~~
´ñ±Û °¨»ç µå·Á¿ä ^*^
1/31 17:47
   
À̸§¾ÆÀÌÄÜ ÄɹÌ
2024-01-31 21:24
Âî¾ø´Â ³¬½Ã´Â Àß ¾ÈÇÏ´Â ÆíÀε¥....
°¡²û ŸÀ̶ó¹Ù·Î ´ë¹° Àâ´Â °ÍÀ» º¸¸é Çѹø µµÀüÇØ º¼±î °í¹ÎÇϱ⵵ ÇÕ´Ï´Ù.
¹«½¼ ³¬½Ãµç ÇÏ´Ùº¸¸é ´Ù¾çÇÑ ½Ãµµ¸¦ ÅëÇØ¼­ ÀڽŸ¸ÀÇ ³ëÇϿ츦 °®°Ô µÇ°ÚÁö¿ä
±×·¡µµ 4¸¶¸® Àâ¾ÒÀ¸¸é ¼º°øÇϽŠ°Å³×¿ä
±× ¼Õ¸ÀÀÌ ±×¸®¿ö¼­ ¹Ù·Î ¿¹¾àÇߴµ¥..........
±â»óÀÌ ¹ÞÃÄÁÖÁú ¾Ê¾Æ¼­ °í»ý¸¸ Çϼ̳׿ä
´ÙÀ½¿¡ ´ë¹° ÀâÀ¸¼¼¿ä
¹°µµ±úºñ ¿äÁòÀº ŸÀ̶ó¹Ùµµ Å« ¾¾¾ËÀÌ ÀÚÁÖ ³ª¿À±ä ÇÏ´õ¶ó±¸¿ä
¾îÂ¸é Æò±ÕÀûÀ¸·Î ŸÀ̶ó¹Ù ¾¾¾ËÀÌ Á» ÀÛ±ä ÀÛÀº°Í °°½À´Ï´Ù
´ë¹°Àº ¾îº¹ÀÌ¸ç ¸¶¸´¼ö´Â ½Ç·ÂÀ̶ó°íµéÇÏ´øµ¥ Àú´Â ¾ÆÁ÷ Á» Èûµå³×¿ä
¤¾~~
°¨»çÇÕ´Ï´Ù ^*^
2/2 20:52
   
À̸§¾ÆÀÌÄÜ ¶ãäÁ¶»ç
2024-01-31 23:44
ȸ¿ø»çÁø
¼ö½É±íÀº ¿Ü¼¶ ŸÀ̶ó¹Ù¸¦ ´Ù³à¿À¼Ì³×¿ä
¼ö½ÉÀÌ ±íÀ¸´Ï °Ü¿ï ¼­½Äó°¡ µÇ³ª º¾´Ï´Ù

Á¤°¥ÇÏ°Ô Á¤¸®µÈ ŸÀ̶ó¹Ù äºñÇÔÀ» º¸´Ï,
¾î¸¥ÀÇ ¼ºÇ°ÀÌ ±×´ë·Î Àü´ÞµË´Ï´Ù
¹®¾î´àÀº ÀÎÁ¶¹Ì³¢ Àç¹Õ³×¿ä ¤¾
À̰ÍÀú°Í ÀÚÀÛÇÏ´Ùº¸¸é ¹ã»õ´Â ÁÙ ¸ð¸£°Ú½À´Ï´Ù^^

Âüµ¼ ³×¸¶¸® ÃàÇϵ帮¸ç,
ŸÀ̶ó¹Ù ¸Å·Â¿¡  Àá½Ã dzµ¢ ºüÁ®º¾´Ï´Ù ¤¾¤¾
¼ö°í ¸¹À¸¼Ì±¸¿ä^^
´Ù°¡¿À´Â ¼³¸íÀýµµ ÇູÇÑ ¿¬ÈÞ µÇ½Ã±æ
±â¿øÇÕ´Ï´Ù^^¢½¢½^^
¹°µµ±úºñ ŸÀ̶ó¹Ù À帣°¡ ¹«Ã´ Àç¹Ì³­ ³¬½Ã¶ó´Â°ÍÀ» äÇèÇØ º¸¾Ò½À´Ï´Ù
¸±À» ÇÑ¹Ù²î °¨¾ÆµéÀÌ´Â ±× ¼ø°£ ¼ø°£ ±èÀå°¨°ú ¼³·¡ÀÓÀÌ ±×¸¸ ŸÀ̶ó¹Ù¿¡ Ç« ºüÁøµí Çϳ׿ä
¤¾~~
¿äÁò ÁÖ¸»¿¡´Â ³¯¾¾¶§¹®¿¡ ÃâÁ¶ÇÏ±â ¾î·Æ±º¿ä
¼³ ¸íÀý °¡Á·°úÇÔ²² Áñ°Å¿î ¿¬ÈÞ µÇ¼¼¿ä
Ç×»ó °Ç°­Çϼ¼¿ä ^*^
2/2 20:48
   
À̸§¾ÆÀÌÄÜ °¹±ø±¸
2024-03-16 03:19
ȸ¿ø»çÁø
¹Ý°©½À´Ï´Ù Àü·ç¾î¯ À̰úÀåÀÔ´Ï´Ù¤»¤»Å¸À̶ó¹ÙµµÇϽó׿ä
¹°µµ±úºñ À̰úÀå´Ô ¿À·§¸¸ ºË´Â±º¿ä
Á¤¸» ¹Ý °©½À´Ï´Ù
ÀßÁö³»½ÃÁÒ~
ŸÀ̶ó¹Ù ÀÔ¹® ÇÏ¿´½À´Ï´Ù
¸¸³ª¸é ¸¹Àº Á¶¾ð ºÎŹ µå·Á¿ä
°Ç°­ÇϽʽÿä^*^
4/19 21:17
   
 
  0
3500


336
±â´Ù¸®´ø ³²ÇØ °ÅÁ¦µµ Âüµ¼ ŸÀ̶ó¹Ù ½ÃÁðÀÌ ½ÃÀ۵ǿ©

ÁöÀΰú ÇÔ²²..

¡¤ ÀÛ¼ºÀÚ : ¹°µµ±úºñ  ¡¤ 2025-11-02 (ÀÏ)
¡¤Á¶   ȸ : 849   ¡¤ ´ñ   ±Û : 7    ÂÊ ±Û: 7
335
334 333
332
¿äÁò ºÎ»ê ÇÑÄ¡°¡ ÇÖ ÇÏ´Ù Çϳ׿ä


»çÀÌÁî¿Í ¸¶¸´¼ö°¡ ¸¸Á·ÇÒ Á¤µµ·Î..
¡¤ ÀÛ¼ºÀÚ : ¹°µµ±úºñ  ¡¤ 2024-06-10 (¿ù)
¡¤Á¶   ȸ : 4777   ¡¤ ´ñ   ±Û : 6    ÂÊ ±Û: 6
331

Æ÷Ç× 
¡¤ ÀÛ¼ºÀÚ : ¹°µµ±úºñ  ¡¤ 2024-05-13 (¿ù)
¡¤Á¶   ȸ : 2452   ¡¤ ´ñ   ±Û : 7    ÂÊ ±Û: 7

330

ÇÑÄ¡´Ù


¡¤ ÀÛ¼ºÀÚ : ¹°µµ±úºñ  ¡¤ 2024-04-18 (¸ñ)
¡¤Á¶   ȸ : 1503   ¡¤ ´ñ   ±Û : 6    ÂÊ ±Û: 6

329
328 327
326 325
324 323
322 321
320 319
318 317
12345678910,,,17
°³ÀÎÁ¤º¸Ãë±Þ¹æÄ§ | À̸ÞÀϹ«´Ü¼öÁý°ÅºÎ | ÀÌ¿ë¾à°ü | ±â»çÁ¦º¸ | °øÁö»çÇ× |      ±¤°í¾È³» | ÇùÂù¾÷üÄÚ³Ê | °ü¸®¸Þ´º



Copyright ©Ï Since 2002.Mar By ºÎ³¬ All Right Reserved
´ëÇѹα¹ ¹Ù´Ù³¬½ÃÀÇ ¸ÞÄ« ºÎ³¬    www.ybada.co.kr / www.bunak.co.kr
»ç¾÷ÀÚ¹øÈ£:602-08-67249     Åë½ÅÆÇ¸Å¾÷½Å°í:¿µµµ-00041  Mail:dscoo@naver.com
ºÎ»ê½Ã ¿µµµ±¸ ÅÂÁ¾·Î 327 (2F)      TEL: 070-8165-2224    H.P: 010-3837-2518
ºÎ³¬°èÁ : ºÎ»êÀºÇà 046-01-033431-1 ÃÖÈ¿±Ô
°³ÀÎÁ¤º¸Ãë±Þ¹æÄ§     ÀüÀÚÀûÇ¥½Ãµî·Ï
ºÎ³¬Àº SSLº¸¾È¼­¹ö·Î ȸ¿øÁ¤º¸¸¦
¾ÈÀüÇÏ°Ô º¸È£Çϰí ÀÖ½À´Ï´Ù.